Bekendmaking aanwijzing Wet voorkeursrecht gemeenten - gemeente Hellendoorn

Nijverdal, 21 november 2023 Nr. 2023-023905

 

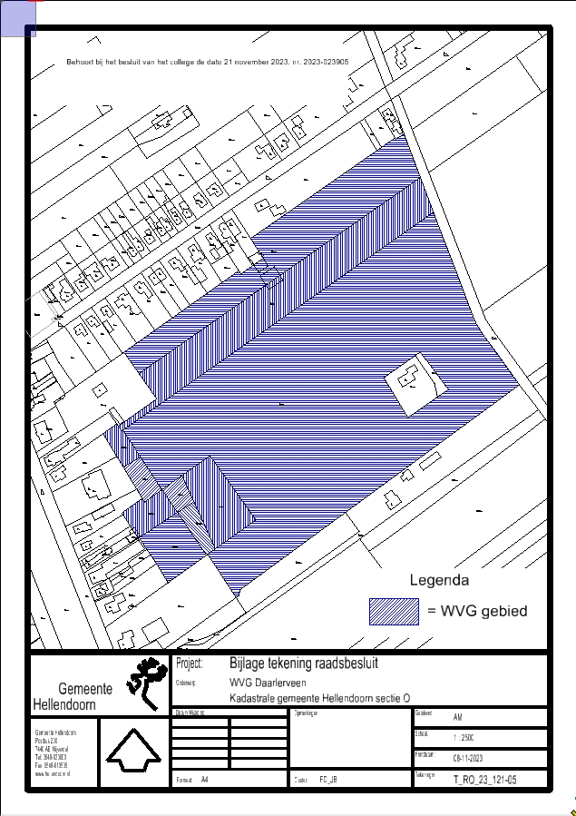
Het college van burgemeester en wethouders van de gemeente Hellendoorn maakt op grond van artikel 7, eerste lid van de Wet voorkeursrecht gemeenten (Wvg) bekend dat hij op 21 november 2023 - op grond van het bepaalde in artikel 6, eerste lid Wvg - heeft besloten om gronden in Daarlerveen voorlopig aan te wijzen als gronden waarop de artikelen 10 tot en met 15, 24 en 26 van de Wvg van toepassing zijn.

 

Het betreft de gronden die zijn aangegeven in de bijlagen 1 en 2.

 

De voorlopige aanwijzing heeft tot gevolg dat de eigenaren van de in de bijlagen 1 en 2 aangegeven gronden deze pas kunnen vervreemden wanneer ze eerst aan de gemeente zijn aangeboden.

 

Gezien de vereiste spoed en het beoogde doel is, overeenkomstig het bepaalde in artikel 4:11 sub a en sub c van de Algemene wet bestuursrecht (Awb), besloten de betrokken belanghebbenden niet in de gelegenheid te stellen om voorafgaand aan dit besluit zienswijzen naar voren te brengen en daarom artikel 4:8 van de Awb buiten toepassing te laten.

 

Inwerkingtreding

Dit besluit treedt in werking op 22 november 2023.

 

Vervolg

De gemeenteraad wordt in zijn vergadering van 19 december 2023 voorgesteld op grond van de artikelen 2 en 5 Wvg de in de bijlagen 1 en 2 aangegeven gronden aan te wijzen als gronden waarop de artikelen 10 tot en met 15, 24 en 26 Wvg van toepassing zijn.

 

Bezwaar

Indien u het met ons besluit niet eens bent en u belanghebbende bent bij dit besluit, kunt u daartegen binnen 6 weken na bekendmaking ervan bij ons een bezwaarschrift indienen. Uw bezwaarschrift dient ten minste de volgende gegevens te bevatten:

  • -

    uw naam en adres;

  • -

    de dagtekening;

  • -

    een omschrijving van dit besluit;

  • -

    de gronden van het bezwaar (de motivering).

     

Indien het u niet lukt om binnen 6 weken de gronden van het bezwaar (de motivering) te bedenken, kunt u er ook mee volstaan om eerst een pro forma-bezwaarschrift in te dienen. Dit houdt in dat u wel binnen 6 weken een bezwaarschrift indient dat voldoet aan de eerste drie eisen, maar dat u van ons een termijn krijgt om de gronden van bezwaar later in te dienen.

 

Wij wijzen u er nadrukkelijk op dat het indienen van een bezwaarschrift tegen dit besluit geen schorsende werking heeft. Dat betekent dat de genomen beslissing tijdens de bezwaarschriftenprocedure geldt. Indien u dat wilt voorkomen, is het noodzakelijk dat u, nadat u bij ons een bezwaarschrift heeft ingediend, een gemotiveerd verzoek om voorlopige voorziening, houdende schorsing van het bestreden besluit, indient bij de voorzieningenrechter van de Rechtbank Overijssel, Afdeling Bestuursrecht, Postbus 10067, 8000 GB Zwolle.

 

U kunt uw verzoek om voorlopige voorziening ook digitaal indienen bij de voorzieningenrechter van genoemde rechtbank via http://loket.rechtspraak.nl/bestuursrecht. Daarvoor moet u wel beschikken over een elektronische handtekening (DigiD). Kijk op de voornoemde site voor de precieze voorwaarden.

 

Voor de behandeling van het verzoek om voorlopige voorziening is griffierecht verschuldigd.

 

Indien een belanghebbende tijdig bezwaar maakt tegen het besluit van het college van burgemeester en wethouders tot voorlopige aanwijzing en dit voorlopige besluit van rechtswege vervalt omdat binnen de termijn een geldig besluit van de gemeenteraad tot bestendiging van de aanwijzing is genomen, wordt het bezwaar ingevolge artikel 6, derde lid Wvg mede geacht te zijn gericht tegen het besluit van de gemeenteraad.

 

Het college voornoemd,

de wnd. secretaris, de burgemeester,

 

 

Bijlage 1 Kadastrale tekening

Bijlage 2 Kadastrale gegevens

Naar boven