Burgemeester en wethouders van Wormerland maken op grond van artikel 7, eerste lid van de Wet voorkeursrecht gemeenten (Wvg) bekend dat de raad van de gemeente Wormerland op 20 december 2022 heeft besloten om op grond van artikel 4, eerste lid van de Wvg percelen aan te wijzen waarop de artikelen 10 tot en met 15, 24 en 26 van de Wvg van toepassing zijn.
Locatie
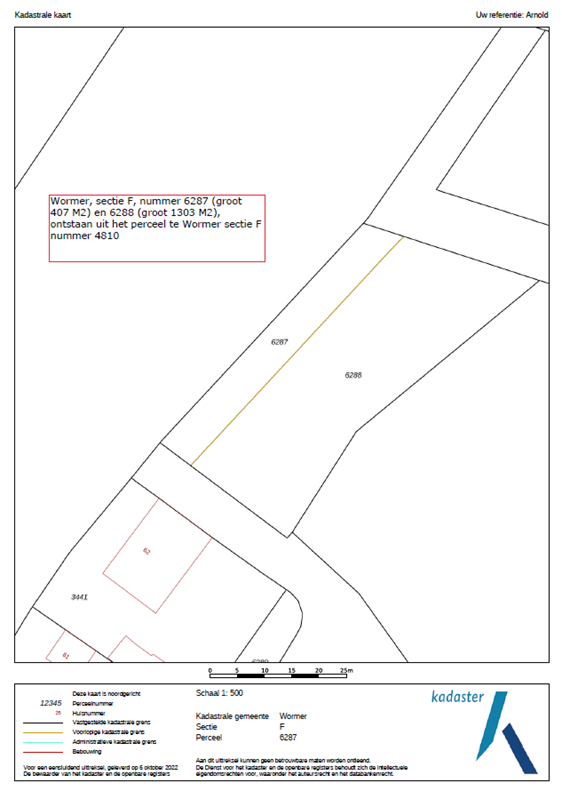
Het betreft de percelen kadastraal bekend gemeente Wormer, sectie F, nummer 6287 en nummer 6288 ontstaan uit het perceel Gemeente Wormer, sectie F, nummer 4810. De gronden maken onderdeel uit van het gebied Zaandriehoek en zijn nader aangegeven op de bij het besluit behorende kadastrale kaart. In de Omgevingsvisie Wormerland is aan deze gronden een, nader uit te werken, niet-agrarische bestemming toegedacht, namelijk wonen in meest brede zin.
Inwerkingtreding
Het besluit van de raad van 20 december 2022 treedt één dag na deze publicatie in werking. Het voorkeursrecht geldt voor een termijn van ten hoogste drie jaren, tenzij voor die tijd een bestemmingsplan (of inpassingsplan) is vastgesteld (artikel 9, lid 2, Wvg).
Ter inzage
Om te voldoen aan artikel 7, lid 1 Wvg ligt het besluit met bijbehorende stukken, daaronder mede begrepen de perceelsgewijze registratie, met ingang van 30 december 2022 voor eenieder kosteloos ter inzage in het gemeentehuis Wormerland, Koetserstraat 3 Wormer voor een periode van zes weken.
Voor het inzien van de stukken kunt u telefonisch een afspraak maken via telefoonnummer 075-651 2100.
Kennisgeving
De eigenaar van het perceel ontvangt één dezer dagen afzonderlijk bij aangetekende brief bericht over de inhoud van het besluit en de gevolgen hiervan.
Gevolgen
Met het raadsbesluit is de aanwijzing waartoe de burgemeester en wethouders op grond van artikel 6 Wvg op 11 oktober 2022 hebben besloten, binnen de wettelijke termijn van drie maanden bestendigd. Nadat het raadsbesluit in werking in werking is getreden, moeten de eigenaren en de eventuele beperkt gerechtigden tot de aangewezen gronden, wanneer zij hun (recht op het) eigendom willen overdragen, dit eerst aan de gemeente Wormerland te koop aanbieden. Het voorkeursrecht heeft dus pas gevolgen als rechthebbenden op het perceel tot verkoop willen overgaan.
Bezwaar, voorlopige voorziening
Ingevolge de Algemene wet bestuursrecht (Awb) kunnen belanghebbenden binnen zes weken na bekendmaking van het raadsbesluit van 20 december 2022, tegen dit besluit een bezwaarschrift indienen. Het bezwaarschrift dient te zijn gericht aan de raad van de gemeente Wormerland en, onder vermelding van zaaknummer 861229, te worden verzonden naar het adres Koetserstraat 3, 1531 NX te Wormer.
Het bezwaarschrift dient ondertekend te worden en vermeldt tenminste naam en adres van de indiener, dagtekening, omschrijving van het besluit en de gronden van het bezwaar.
Het indienen van een bezwaarschrift schorst de werking van dit besluit niet. Degene die een bezwaarschrift heeft ingediend en tevens van mening is dat spoed is vereist, kan een voorlopige voorziening vragen aan de Voorzieningenrechter van de Rechtbank Noord-Holland, Sector bestuursrecht, locatie Haarlem (postbus 1621, 2003 BR Haarlem).
Indien belanghebbenden bezwaar hebben gemaakt tegen het besluit van burgemeester en wethouders van de gemeente Wormerland als bedoeld in artikel 6 Wvg, hoeven zij niet opnieuw een bezwaarschrift in te dienen. Het bezwaar tegen het besluit van burgemeester en wethouders wordt thans, op grond van artikel 6, lid 3 van de Wvg, geacht te zijn gericht tegen het raadsbesluit.
Wormerland, 23 december 2022
De raad van de gemeente Wormerland
gezien het voorstel van burgemeester en wethouders d.d.: 22-11-2022
Besluit
1.
op grond van het bepaalde in artikel 4 van de Wet voorkeursrecht gemeenten in het gebied Zaandriehoek de kadastrale percelen Gemeente Wormer, sectie F, nummer 6287 (groot ca. 407 M2) en nummer 6288 (groot ca. 1303 M2), ontstaan uit het perceel Gemeente Wormer sectie F nummer 4810 (groot ca. 1710 M2), zoals weergegeven op bijlage 1 en 2, aan te wijzen als percelen waarop de artikelen 10 tot en met 15, 24 en 26 van de Wet voorkeursrecht gemeenten van toepassing zijn. Met de aantekening dat de hiervoor genoemde percelen een niet-agrarische bestemming is toegedacht en waarvan het huidige gebruik afwijkt van die toegedachte bestemming;
2.
dit besluit te nemen ter bestendiging van het collegebesluit van 11 oktober 2022, dat van rechtswege vervalt zodra dit raadsbesluit rechtskracht heeft;
3.
het college op te dragen met toepassing van artikel 7 van de Wet voorkeursrecht gemeenten dit besluit bekend te maken in het Gemeenteblad van Wormerland, gedurende zes weken ter inzage te leggen bij de publieksbalie en de eigenaar van het perceel na inwerkingtreding van deze aanwijzing een mededeling te zenden van dit besluit, met daarin opgenomen een zakelijke beschrijving van de betekenis van het voorkeursrecht;
4.
dit besluit na publicatie in het Gemeenteblad met toepassing van de Wet kenbaarheid publiekrechtelijke beperkingen in te schrijven in het gemeentelijke beperkingenregister.
Aldus besloten in de openbare vergadering van de Raad van de gemeente Wormerland, gehouden op 20 december 2022
De hier aangeboden pdf-bestanden van het Staatsblad, Staatscourant, Tractatenblad, provinciaal blad, gemeenteblad, waterschapsblad en blad gemeenschappelijke regeling vormen de formele bekendmakingen in de zin van de Bekendmakingswet en de Rijkswet goedkeuring en bekendmaking verdragen voor zover ze na 1 juli 2009 zijn uitgegeven. Voor pdf-publicaties van vóór deze datum geldt dat alleen de in papieren vorm uitgegeven bladen formele status hebben; de hier aangeboden elektronische versies daarvan worden bij wijze van service aangeboden.