Objectinformatie aan Tiendendreef te Goes

Objectinformatie

Adres: Tiendendreef te Goes, de volgende percelen:

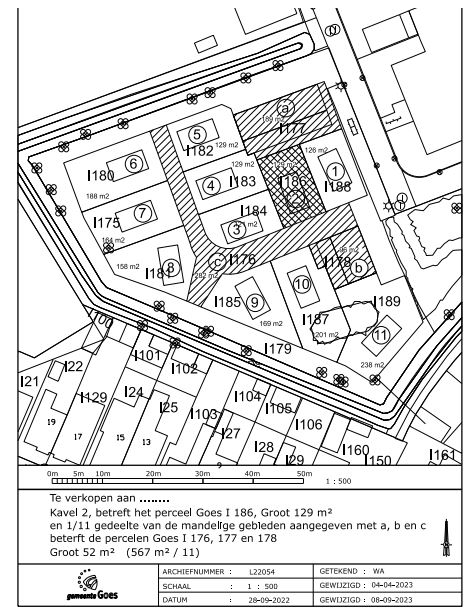
  • 1. Een perceel bouwgrond, Tiny House kavel nummer 2 in het plan Tiendendreef te Goes, ter plaatse kennelijk af te palen en aan te duiden gedeelten, te weten:

      • a.

        het perceel kadastraal bekend gemeente Goes, sectie I nummer 186, groot 129 m² bestemd voor de bouw van een tiny house;

      • b.

        een mandelig aandeel in de ondergrond voor een gezamenlijke berging met parkeerplaats en gemeenschappelijk toegangspad ter grootte van ongeveer 52 m², totaal ter grootte van ongeveer 181 m², deel uitmakende van de percelen kadastraal bekend gemeente Goes, sectie I nummers 176, 177 en 178, één en ander zoals globaal in kruisarcering is aangegeven op de aan deze overeenkomst gehechte en door partijen geparafeerde tekening, genummerd L22054;

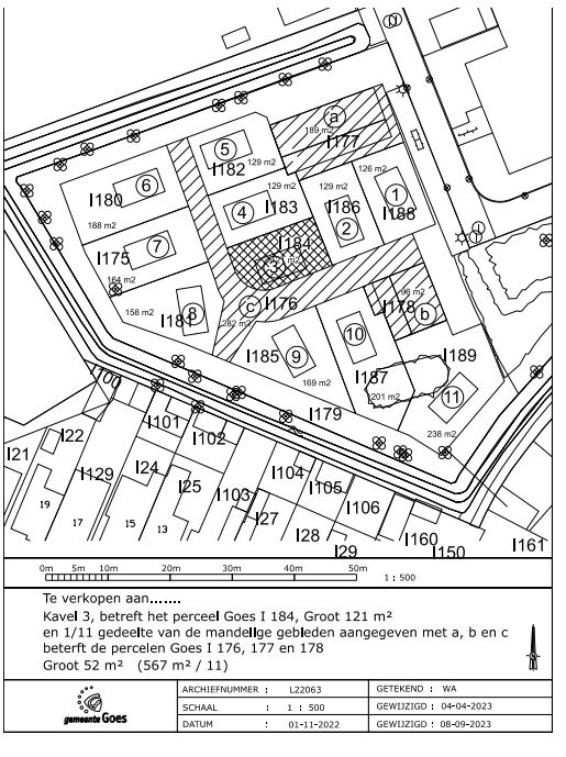
  • 2. Een perceel bouwgrond, Tiny House kavel nummer 3 in het plan Tiendendreef te Goes, ter plaatse kennelijk af te palen en aan te duiden gedeelten, te weten:

      • a.

        het perceel kadastraal bekend gemeente Goes, sectie I nummer 184, groot 121 m² bestemd voor de bouw van een tiny house;

      • b.

        een mandelig aandeel in de ondergrond voor een gezamenlijke berging met parkeerplaats en gemeenschappelijk toegangspad ter grootte van ongeveer 52 m², totaal ter grootte van ongeveer 173 m², deel uitmakende van de percelen kadastraal bekend gemeente Goes, sectie I nummers 176, 177 en 178, één en ander zoals globaal in kruisarcering is aangegeven op de aan deze overeenkomst gehechte en door partijen geparafeerde tekening, genummerd L22063.

Kavelnr.

m² bouwkavel

m² parkeren

m² mandelig aandeel pad

Totaal af te nemen oppervlak per kavel

Prijspeil p/m² (geldig t/m 31-12-2023)*

Grondprijs totaal af te nemen kavel excl. btw

Grondprijs totaal af te nemen kavel incl. btw

2

129

26

26

181

€ 283

€ 51.233

€ 61.980

3

121

26

26

173

€ 283

€ 48.959

€ 59.240

    • Disclaimer: overeenkomsten afgesloten na 1 januari 2024 hebben een grondprijs van € 300,- p/m ² excl btw.

Voornemen tot het uitgeven van bouwgrond voor Tiny Touses

Voor het project Tiny Houses aan de Tiendendreef zijn inmiddels zijn 9 van de 11 kavels verkocht. Op dit moment zijn de Tiny House kavels 2 en 3 nog beschikbaar.   

Voorwaarden Tiny House project Tiendendreef 

Op de locatie Tiendendreef in de wijk Goes-West worden kavels uitgegeven voor de plaatsing van Tiny Houses (particulier opdrachtgeverschap) en gezamenlijk gebruik terrein. Binnen het concept wordt relatief dicht bij elkaar gewoond en wordt rekening met elkaar gehouden. De Tiny Houses staan minimaal 2 meter van erfgrens.

Daarnaast is er gezamenlijk eigendom dat op kosten van het collectief wordt ingericht en wordt onderhouden. Om dit alles te regelen is er een verplicht lidmaatschap van een Beheervereniging met een huishoudelijk regelement. Waar moeten gegadigden rekening mee houden:

  • -

    Kavel wordt uitgegeven voor eigen bewoning, uitzondering voor kinderen of ouders. De verhuur van de Tiny House is gedurende een termijn van één jaar na realisatie in beginsel niet mogelijk, tenzij de gemeente hier schriftelijk toestemming voor verleent onder eventueel nader te stellen voorwaarden;

  • -

    Locatie is gelegen naast school met leerlingenvervoer;

  • -

    1 per parkeerplaats per Tiny House;

  • -

    Betaling bij uitgifte van de grond voor lidmaatschap Beheervereniging (vereniging van eigenaren voor het beheer en onderhoud van het mandelige terrein) + contributie (€ 20 - € 50), een betaling voor de bouw van de schuurtjes en aanloopkosten inrichting mandelig terrein (+/- € 7.000);

  • -

    Bereikbaarheid van de locatie en afmeting van de Tiny Houses. Rekening mee houden of leverancier / bouwer bij het terrein kan komen;

  • -

    Omgevingsvergunning voor het plaatsen en/of bouwen van de Tiny Houses nodig. Zelf aantonen dat Tiny House voldoet aan eisen nieuwbouw bouwbesluit;

  • -

    Afmetingen: max woonoppervlak 50 m², max bouwhoogte 2 lagen ofwel 6 m, max inhoud 225 m³;

  • -

    Verrijdbaar onderstel of funderingsconstructie;

  • -

    Voldoen aan het bouwbesluit;

  • -

    Uitgifte in erfpacht ook mogelijk;

  • -

    Algemene verkoopvoorwaarden voor de verkoop van bouwgrond van de gemeente Goes 2022 en algemene erfpachtvoorwaarden gemeente Goes 2022 van toepassing op de uitgifte van de Tiny House kavels.

Selectiecriteria

Aangezien het de uitgifte van een schaars registergoed betreft is de gemeente verplicht om potentiële gegadigden in de gelegenheid te stellen om hun belangstelling kenbaar te maken bij de verkoop van bouwkavels. Hiervoor zijn de volgende selectiecriteria opgesteld:

Rangorde bij selectie gegadigde voor bouwkavel Tiny House:

    • 1.

      Geen financieringsvoorbehoud;

    • 2.

      Wel financieringsvoorbehoud.

Indien er meerdere gegadigden voor een kavel zijn volgt loting via de notaris. Mocht u ook belangstelling hebben voor een Tiny House kavel onder bovengenoemde voorwaarden, dan dient u zich binnen een termijn van 20 kalenderdagen na de hierboven weergegeven publicatiedatum te melden bij de gemeente Goes via p.wielhouwer@goes.nl. Daarbij graag aangeven wat de eerste en tweede voorkeur is en of er een financieringsvoorbehoud nodig is.    

Naar boven