HET AANWIJZINGSBESLUIT straatnaam Goud ARNHEM

HET COLLEGE VAN BURGEMEESTER EN WETHOUDERS VAN ARNHEM;

 

gelet op artikel 108 en 147 van de Gemeentewet, artikel 6 van de Wet basisregistraties adressen en gebouwen en artikel 2 van de Verordening naamgeving en nummering;

 

BESLUIT:

 

tot het gewijzigd vaststellen van de begrenzing van de openbare ruimte (straat) door middel van

 

HET AANWIJZINGSBESLUIT straatnaam Goud ARNHEM

 

 

Artikel 1 Naamgeving

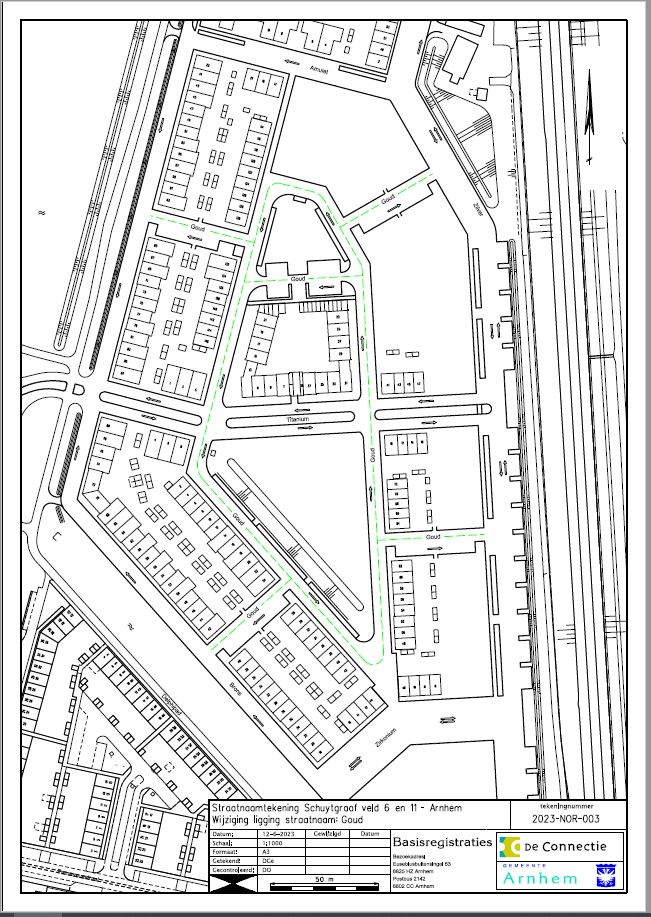
Aan de vier aanliggende straten wordt de volgende bestaande straatnaam met straatcode 02117 toegekend: Goud

 

Overeenkomstig de bij dit besluit behorende situatietekening met het kenmerk 2023-NOR-003

 

Artikel 2 Inwerkingtreding en citeertitel

  • 1.

    Dit besluit treedt in werking op de eerste dag na die van de bekendmaking.

  • 2.

    Dit besluit wordt aangehaald als: Aanwijzingsbesluit straatnaam Goud Arnhem.

 

Aldus vastgesteld in de collegevergadering van 12 september 2023.

Het college van burgemeester en wethouders voornoemd,

de secretaris, de burgemeester,

 

Bezwaar maken

Tegen dit besluit kan een belanghebbende binnen zes weken na de dag van bekendmaking bezwaar maken bij het college van burgemeester en wethouders (Postbus 9029, 6800 EL Arnhem).

 

 

Naar boven