Gemeente Aalsmeer - Onderhands uitgifte van perceel grond nabij Kamerlingh Onnesweg 90

 

Locatie

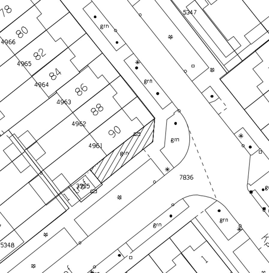
Op 02 juni 2023 heeft de gemeente Aalsmeer (gemeente) een koopovereenkomst gesloten met de eigenaar van de Kamerlingh Onnesweg 90 voor de verkoop van het grondperceel kadastraal bekend gemeente Aalsmeer, sectie D, nummer 7836 groot ongeveer 58 m². Het perceel is onderhands (één-op-één) aan de eigenaar van de Kamerlingh Onnesweg 90 verkocht. Bij deze verkoop zijn de regels van het Didam-arrest die door de Hoge Raad zijn geformuleerd niet nagekomen. Deze publicatie dient als reparatie voor het niet volgen van de procedurele regels die door de Hoge Raad zijn vastgesteld.

Motivering

De gemeente dient bij uitgifte van haar gronden zich te houden aan de procedurele regels die door de Hoge Raad in het Didam-arrest zijn vastgesteld en een (openbare) selectieprocedure te doorlopen om alle (potentiële) kandidaten op een gelijke wijze mee te laten dingen. De Hoge Raad heeft een uitzondering gemaakt op de vastgestelde regels en aangegeven dat de selectieprocedure achterwege kan blijven als bij voorbaat vaststaat of redelijkerwijs mag worden aangenomen dat op grond van objectieve, toetsbare en redelijke criteria slechts één serieuze gegadigde in aanmerking komt voor aankoop van de grond. De verkoop van het voornoemde perceel aan de eigenaar van Kamerlingh Onnesweg 90 is gebaseerd op de hiernavolgende argumentatie.

De eigenaar van de Kamerlingh Onnesweg 90 is de enige partij die in aanmerking komt voor deze snippergrond. Dit omdat de aankoop van snippergrond alleen is toegestaan wanneer de snippergrond grenst aan het eigendom. Derden komen niet in aanmerking aangezien er geen andere particulieren over aangrenzend eigendom beschikken.

Op basis van het voorstaande is de gemeente van mening dat op grond van objectieve, toetsbare en redelijke criteria de eigenaar van de Kamerlingh Onnesweg 90 de enige serieuze kandidaat is, die in aanmerking komt voor uitgifte van het perceeldeel van 58 m2 nabij Kamerlingh Onnesweg 90.

Reactietermijn

Als u van mening bent dat u zelf als gegadigde in aanmerking komt voor uitgifte van deze locatie, dan dient u binnen 3 weken na publicatiedatum van deze kennisgeving een kort geding aanhangig te maken bij de rechtbank Amsterdam en dit schriftelijk aan ons kenbaar te maken.

Met deze publicatie geeft de gemeente Aalsmeer uitvoering aan het arrest van de Hoge Raad d.d. 26 november 2021 (ECLI:NL:HR: 2021:1778).

Aalsmeer, 8 augustus 2023.

De secretaris,

drs. Sj. Vellenga

De burgemeester,

mr. G.E. Oude Kotte

Naar boven