Gemeente Nissewaard - Verkeersbesluit aanleg elektrisch oplaadpunt Suze Robertsonstraat 2, Spijkenisse

 

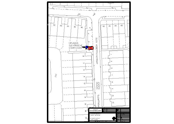
In de parkeervakken aan de Suze Robertsonstraat 2 in Spijkenisse wordt een openbare laadvoorziening (laadpaal) aangelegd zoals aangegeven op de bijgevoegde situatietekening die bij dit besluit hoort.Eén parkeervak wordt nu gerealiseerd voor het opladen van elektrische voertuigen door het plaatsen van het bord E4 uit bijlage 1 van het RVV 1990, met onderbord met daarop de tekst: “opladen elektrische voertuigen”. Eén parkeervak wordt gereserveerd. Wanneer er uit de omgeving vraag naar is wordt deze daadwerkelijk aangelegd.

Waarom is dit besluit genomen?

  • De gemeente Nissewaard wil, samen met de andere gemeenten in de regio Rotterdam-Rijnmond, de uitstoot van CO2 met 40% verminderen in 2025.

  • De gemeente Nissewaard stimuleert het gebruik van elektrisch voertuigen omdat deze bijdragen aan minder CO2 uitstoot, schonere lucht en minder geluidsoverlast.

  • Een bewoner in de omgeving van de Suze Robertsonstraat heeft een verzoek ingediend om een openbare laadvoorzieningin de openbare ruimte te realiseren;

  • De laadpaal kan niet op het eigen erf gerealiseerd worden.

  • De gemeente Nissewaard is eigenaar en beheer van het genoemde parkeervak.

  • Het parkeervak zoals weergeven op de bijgevoegde tekening is de meest geschikte nabijgelegen locatie om een gereserveerd parkeervak voor elektrische voertuigen te realiseren, zoals bepaald is in Beleidsregels voor laadpunten elektrische auto’s Nissewaard.

  • De aanvraag is voorgelegd aan de ambtelijke verkeerscommissie, waarin een vertegenwoordiger van de politie als bedoeld in artikel 24 van het BABW zitting heeft. De commissie heeft ons unaniem geadviseerd om bovenstaand verkeersbesluit te nemen.

Situatie tekening

 

 

Datum besluit

31 juli 2023

Ingangsdatum

Dit besluit treedt in werking zodra het bord E4 met onderbord geplaatst is.

 

Burgemeester en wethouders van Nissewaard,

namens dezen,

de teamcoördinator van het team Ruimtelijke Inrichting

H. Apell

 

Bezwaar

U kunt tegen dit besluit binnen 6 weken bezwaar maken. Doe dat per brief. Vermeld daarin:

de datum van de brief

uw naam en adres

uw bezwaren

het nummer van het gemeenteblad van dit besluit (rechtsboven in deze bekendmaking).

Onderteken het bezwaarschrift en stuur het naar:

Gemeente Nissewaard

het college van burgemeester en wethouders

Postbus 25

3200 AA Spijkenisse

 

Voorlopige voorziening

Als u bezwaar maakt kunt u om uitstel van dit besluit vragen. Dit heet een voorlopige voorziening. U dient hiervoor een verzoek in bij:

de voorzieningenrechter van de rechtbank Rotterdam

Sector Bestuursrecht

Postbus 50951

3007 BM Rotterdam

U kunt het verzoek ook indienen via http://loket.rechtspraak.nl. U heeft hiervoor DigiD nodig.

Let op! Het aanvragen van een voorlopige voorziening kost geld.

 

 

Naar boven