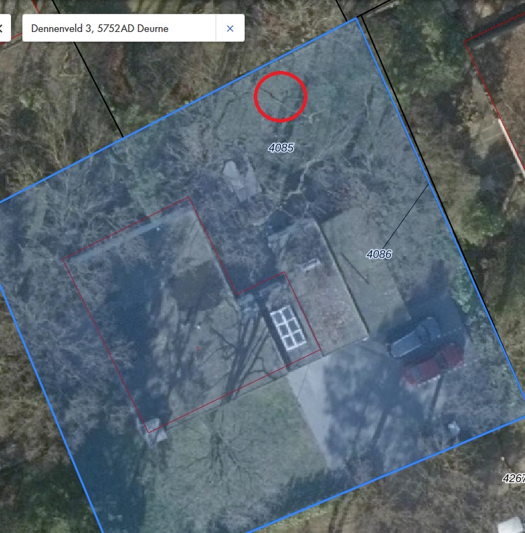
Kennisgeving besluit op aanvraag omgevingsvergunning Dennenveld 3 te Deurne

De gemeente heeft op 26 juni 2023 een besluit genomen op de aanvraag omgevingsvergunning voor het kappen van een boom op de locatie Dennenveld 3 te Deurne. De zaak is geregistreerd onder nummer HZ-2023-0609. De vergunning is toegekend. Het besluit gaat over de activiteit(en):

  • Kap

Inzage

Het besluit en de relevante bijbehorende stukken zijn opgenomen als bijlagen bij deze publicatie. De stukken geven een beeld van het besluit. Als u alle stukken wilt inzien, kunt u contact opnemen via het hieronder genoemde e-mailadres of telefoonnummer.

Procedure

Indien u belanghebbende bent kunt u bezwaar maken tegen het besluit. Vermeldt u daarbij het hierboven genoemde zaaknummer. U kunt het bezwaar richten aan burgemeester en wethouders, Postbus 3, 5750 AA Deurne. De termijn voor het indienen van een bezwaar start op 27 juni 2023 en bedraagt 6 weken. Voor meer informatie over de procedure kunt u contact opnemen via info@deurne.nl of telefoonnummer (0493) 387711.

Naar boven