Verkeersbesluit voor het aanwijzen van verschillende gereserveerde gehandicaptenparkerplaatsen op kenteken te Gemert-Bakel

Burgemeester en wethouders van Gemert- Bakel:

Gelet op:

  • Het bepaalde in artikel 15 eerste en tweede lid, en artikel 18 eerste lid, onder d, van de Wegenverkeerswet 1994, het Besluit administratieve bepalingen inzake het wegverkeer en het Reglement verkeersregels en verkeerstekens 1990 en het mandaatregister Gemert-Bakel 2020 van burgemeester en wethouders van 31 december 2019;

Overwegende:

  • Artikel 15, eerste lid, van de Wegenverkeerswet 1994 moet een verkeersbesluit worden genomen voor de plaatsing of verwijdering van de in artikel 12 van het Besluit administratieve bepalingen inzake het wegverkeer genoemde verkeerstekens, alsmede voor de onderborden voor zover daardoor een gebod of verbod ontstaat of wordt gewijzigd.

Uit het oogpunt van:

  • Het in stand houden van de weg en het waarborgen van de bruikbaarheid daarvan;

  • Het zoveel mogelijk waarborgen van de vrijheid van het verkeer.

Motivering:

  • Verschillende bewoners in de gemeente Gemert-Bakel een aanvraag hebben gedaan voor een gehandicaptenparkeerplaats op kenteken;

  • De aanvragers zijn eigenaar van het voertuig waarop de gehandicaptenparkeerkaart is geregistreerd;

  • De aanvrager voldoet aan de voorwaarden voor een gehandicaptenparkeerplaats op kenteken zoals beschreven in de Nota Parkeernormen 2017;

  • Uit onderzoek blijkt dat de parkeerdruk op bepaalde momenten in de directe omgeving hoog is.

  • Het voor de aanvrager wenselijk is een parkeerplaats te hebben in de directe omgeving van de woning om mobiel te blijven;

  • Het betreffende weggedeelte waar de gehandicaptenparkeerplaats gesitueerd gaat worden is in eigendom van en in beheer bij de gemeente Gemert-Bakel;

  • De gemeente Gemert-Bakel is bevoegd gezag, conform art 18, lid 1 van de Wegenverkeerswet 1994, voor het opstellen van een verkeersbesluit.

  • Het betreffende weggedeelte is gelegen binnen de bebouwde kom van de gemeente;

  • Er overleg heeft plaatsgevonden met de korpschef van de politie en de korpschef heeft positief geoordeeld over het besluit.

Besluiten:

  • 1.

    Het instellen van een gehandicaptenparkeerplaats op kenteken door het plaatsen van verkeersbord E06, van bijlage 1 van het “Reglement verkeersregels en verkeerstekens 1990”, met onderbord met het kenteken van de aanvrager, ter hoogte van De Haag 27 in Gemert, overeenkomstig de bij dit verkeersbesluit behorende afbeeldingen (bijlage 1).

  • 2.

    Het instellen van een gehandicaptenparkeerplaats op kenteken door het plaatsen van verkeersbord E06, van bijlage 1 van het “Reglement verkeersregels en verkeerstekens 1990”, met onderbord met het kenteken van de aanvrager, ter hoogte van Einattenhof 22 te Gemert, overeenkomstig de bij dit verkeersbesluit behorende afbeeldingen (bijlage 2).

  • 3.

    Het instellen van een gehandicaptenparkeerplaats op kenteken door het plaatsen van verkeersbord E06, van bijlage 1 van het “Reglement verkeersregels en verkeerstekens 1990”, met onderbord met het kenteken van de aanvrager, ter hoogte van Schout Brouwersstraat 8 te Gemert, overeenkomstig de bij dit verkeersbesluit behorende afbeeldingen (bijlage 3).

Besluitnr. 2023-08

Gemert, 6 juni 2023

namens het college van burgemeester en wethouders,

de heer S. Pijpers

Vakspecialist Verkeer en Vervoer

Dit besluit is in een geautomatiseerd systeem opgemaakt en digitaal geaccordeerd door de bevoegde functionaris, hierdoor staat er geen persoonlijke handtekening onder dit besluit.

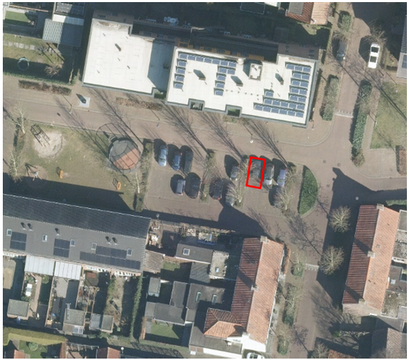
Bijlage 1

Afbeeldingen behorend bij Verkeersbesluit nr 2023-**

Realiseren gereserveerde gehandicaptenparkeerplaats ter hoogte van De Haag 27 te Gemert

 

Bijlage 2

Realiseren gereserveerde gehandicaptenparkeerplaats ter hoogte van Einattenhof 22 te Gemert

 

Bijlage 3

Realiseren gereserveerde gehandicaptenparkeerplaats ter hoogte van Schout Brouwersstraat 8 te Gemert

 

Bijlage 4

Hoe kunt u bezwaar maken?

Indien u bezwaren heeft tegen dit verkeersbesluit kunt u dit schriftelijk bij ons kenbaar maken. De termijn voor het indienen van een bezwaarschrift bedraagt zes weken. De termijn vangt aan op de dag dat het besluit is gepubliceerd.

U dient het bezwaarschrift te sturen aan het college van burgemeester en wethouders van de gemeente Gemert-Bakel, Postbus 10.000, 5420 DA in Gemert, onder vermelding van ‘bezwaarschrift verkeersbesluit’.

Het bezwaarschrift moet ondertekend zijn en bevat tenminste het verkeersbesluit nummer waartegen het bezwaar zich richt, de gronden van het bezwaar, de naam en het adres van de indiener en de dagtekening. Het is wenselijk tevens een kopie van het verkeersbesluit mee te zenden.

Inwerkingtreding

Het indienen van een bezwaarschrift schorst de werking van dit besluit niet. Wanneer u van mening bent dat er met spoed een beslissing over dit besluit moet worden genomen, kunt u aanvullend op uw bezwaarschrift een voorlopige voorziening vragen bij de rechtbank.

Hoe kunt u een voorlopige voorziening aanvragen?

Degenen die een bezwaarschrift hebben ingediend kunnen, indien er sprake is van spoedeisend belang, ook op grond van artikel 8:81 van de Algemene wet bestuursrecht een voorlopige voorziening aanvragen. Dit verzoek (inclusief een kopie van het bezwaarschrift) stuurt u naar: De Voorzieningenrechter, sector bestuursrecht, Postbus 90125, 5200 MA ‘s-Hertogenbosch. Beschikt u over een elektronische handtekening (DigiD), dan kunt u het verzoekschrift ook digitaal indienen. Kijk voor de voorwaarden op http://loket.rechtspraak.nl/bestuursrecht. Voor het behandelen van een dergelijk verzoek wordt griffierecht geheven.

Naar boven