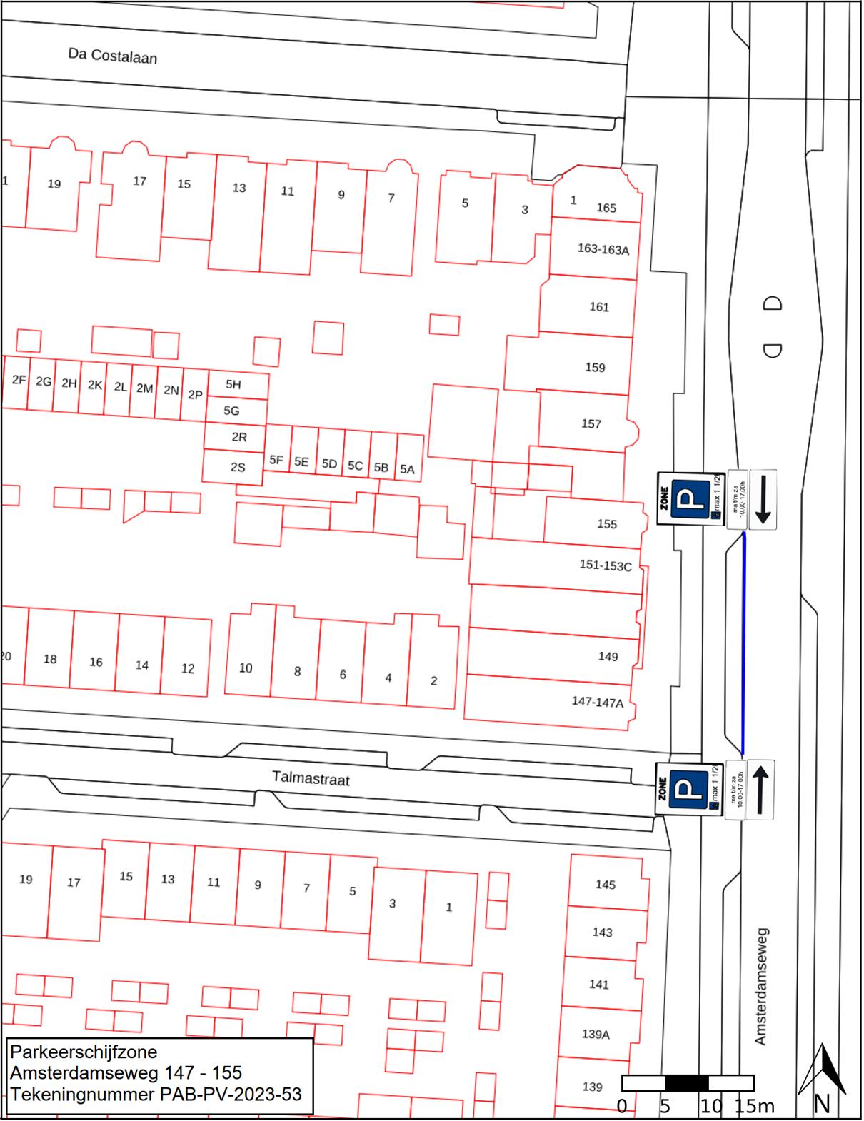
Burgemeester en wethouders van Amstelveen besluiten om de parkeerhaven aan de westzijde van de Amsterdamseweg voor de panden met huisnummers 147 tot en met 155 aan te wijzen als parkeerschijfzone. De parkeerplaatsen in de parkeerhavens zijn reeds voorzien van een blauwe streep. De maximale parkeerduur is 1,5 uur. De tijden gelden van maandag tot en met zaterdag van 10.00 uur tot 17.00 uur. Zij geven dit aan met borden E10 van bijlage 1van het Reglement Verkeersregels en Verkeerstekens 1990 met opschrift “max 1,5 h” en onderborden, zoals aangegeven op de tekening PAB-PV-2023-PV-53.
Wettelijke grondslag
Het besluit is gebaseerd op:
•
de Wegenverkeerswet 1994 (WVW 1994);
•
het Reglement verkeersregels en verkeerstekens 1990 (RVV 1990);
•
het Besluit administratieve bepalingen inzake het wegverkeer (BABW).
Motivering
Het besluit strekt conform artikel 2 Wegenverkeerswet 1994 tot:
•
Het verzekeren van de veiligheid op de weg (lid 1a);
het waarborgen van de bruikbaarheid van de weg (lid 1c);
het zoveel mogelijk waarborgen van de vrijheid van het verkeer (lid 1d).
Het besluit wordt als volgt gemotiveerd:
Langs het gedeelte van de Amsterdamseweg tussen de Molenweg en het pand Amsterdamseweg 207 zijn winkels gevestigd, deels met bovenwoningen. Er is sprake van een hoge parkeerdruk. Dit bemoeilijkt het kort parkeren op winkeltijden overdag.
Het is gewenst dat er voor de bezoekers van de winkels parkeerplaatsen beschikbaar zijn om kort te kunnen parkeren. Met de blauwe zones wordt een gebruiksvriendelijke regeling voor deze bezoekers ingevoerd. Er worden voor de parkeerplaatsen in de parkeerschijfzone geen ontheffingen verleend, zodat de plaatsen beschikbaar kunnen worden gehouden voor kort parkeren.
De maatregel bevordert een doelmatig gebruik van de beschikbare parkeergelegenheid.
Bevoegd gezag
Verkeersbesluiten worden genomen door burgemeester en wethouders voor zover zij betreffen het verkeer op de wegen, welke niet in beheer zijn bij het Rijk, de provincie of een waterschap (artikel 18, lid 1, onder d, WVW 1994). Het mandaatbesluit van burgemeester en wethouders is van toepassing. Er is ondermandaat verleend aan de medewerker ontwerp en voorbereiding van de gemeente.
Het besluit is overeenkomstig artikel 24 van het Besluit administratieve bepalingen inzake het wegverkeer om advies voorgelegd aan de gemandateerde specialist van het team verkeersadvisering namens de korpschef van de regiopolitie Amsterdam-Amstelland.
De Amsterdamseweg ligt binnen de bebouwde kom en zijn in beheer bij de gemeente Amstelveen.
Tekening
Amstelveen, 19 april 2023
Burgemeester en wethouders van de gemeente Amstelveen,
namens dezen,
R.A.C.M. Lommerse
Medewerker ontwerp en voorbereiding
Mogelijkheid tot het indienen van een bezwaarschrift
Tegen dit besluit kunnen belanghebbenden binnen zes weken na bekendmaking een bezwaarschrift indienen. Het bezwaarschrift moet worden ondertekend. Het bevat ten minste de naam en het adres van de indiener, de dagtekening, een omschrijving van het besluit waartegen het bezwaar is gericht en de gronden van het bezwaar. Zo mogelijk meldt u uw e-mailadres en het telefoonnummer waarop u overdag te bereiken bent.
Het bezwaarschrift richt u aan het College van burgemeester en wethouders van Amstelveen, t.a.v. Juridische zaken, Postbus 4, 1180 BA Amstelveen.
Digitaal bezwaar maken is ook mogelijk. Dit kan via www.amstelveen.nl/bezwaarschrift. Hiervoor moet u wel over een elektronische handtekening (DigiD) beschikken.
Mogelijkheid tot het aanvragen van een voorlopige voorziening
Als u bezwaar maakt, geldt de beslissing nog wel. Wilt u dat het gemeentelijke besluit tijdens uw bezwaarprocedure tijdelijk wordt opgeschort? Dien dan een verzoek om voorlopige voorziening in bij de voorzieningenrechter van de rechtbank. Als de voorzieningenrechter uw verzoek toekent, is het besluit opgeschort.
Een verzoek dient u in bij de Voorzieningenrechter van de Rechtbank Amsterdam, Postbus 75850, 1070 AW Amsterdam. Aan het verzoek zijn kosten verbonden.
De hier aangeboden pdf-bestanden van het Staatsblad, Staatscourant, Tractatenblad, provinciaal blad, gemeenteblad, waterschapsblad en blad gemeenschappelijke regeling vormen de formele bekendmakingen in de zin van de Bekendmakingswet en de Rijkswet goedkeuring en bekendmaking verdragen voor zover ze na 1 juli 2009 zijn uitgegeven. Voor pdf-publicaties van vóór deze datum geldt dat alleen de in papieren vorm uitgegeven bladen formele status hebben; de hier aangeboden elektronische versies daarvan worden bij wijze van service aangeboden.