Gemeenteblad van Elburg
| Datum publicatie | Organisatie | Jaargang en nummer | Rubriek |
|---|---|---|---|
| Elburg | Gemeenteblad 2022, 483742 | verkeersbesluit of -mededeling |
Zoals vergunningen, bouwplannen en lokale regelgeving.
Adressen en contactpersonen van overheidsorganisaties.
U bent hier:
| Datum publicatie | Organisatie | Jaargang en nummer | Rubriek |
|---|---|---|---|
| Elburg | Gemeenteblad 2022, 483742 | verkeersbesluit of -mededeling |
Verzamelverkeersbesluit laadpalen I meerdere locaties gemeente Elburg
Verzamelverkeersbesluit aanwijzen parkeerplaats(en) ten behoeve van het opladen van elektrische voertuigen op meerdere locaties in de gemeente Elburg
Het aantal elektrische voertuigen stijgt snel. De voorspelling is dat de eerstkomende jaren het aantal nieuwe elektrische voertuigen zal verdubbelen ten opzichte van het vorige jaar. Als deze voorspelling uitkomt, verdubbelt ook de behoefte aan parkeerplaatsen waar elektrische voertuigen kunnen worden opgeladen. Dat zou kunnen betekenen dat het aantal aanvragen voor een dergelijke parkeerplaats in 2023 in de orde van grootte van 50 komt te liggen, en in 2024 in de orde van grootte van 100. Daarmee verschuift de vraag steeds meer naar de achtergrond of een parkeerplaats die wordt aangewezen voor het opladen van elektrische voertuigen zonder dat voor de betreffende locatie (d.m.v. een aanvraag) al concrete behoefte daaraan is gebleken in de nabije toekomst ook daadwerkelijk als zodanig gebruikt gaat worden. Daarmee wordt de rechtszekerheid van een besluit om vooraf parkeerplaatsen voor dit doel te reserveren steeds groter.
Verder is het vanwege de gewenste energietransitie in het kader van het Klimaatakkoord steeds meer onwenselijk dat bovenop de termijn die technisch nodig is om een laadpaal te realiseren, de aanvrager ook nog eens de doorlooptijd van een verkeersbesluitprocedure moet afwachten, waarvan alleen al de mogelijkheden voor het indienen van zienswijzen en het instellen van beroep en het inwinnen van wettelijk verplicht advies gezamenlijk ca. 4 maanden in beslag nemen.
Tenslotte is het bij bovengenoemde aantallen voor de gemeentelijke organisatie steeds inefficiënter om voor elke aanvraag/locatie een apart verkeersbesluit te nemen.
Daarom vinden wij het zowel juridisch verantwoord als maatschappelijk gewenst om een verkeersbesluit te nemen dat parkeerplaatsen reserveert voor het opladen van elektrische voertuigen voordat er voor de betreffende locatie concrete behoefte is gebleken, en dat voor meerdere locaties tegelijk te doen. Wij willen graag dat vrijwel iedere inwoner van een bebouwde kom in onze gemeente die geen mogelijkheid heeft om op eigen terrein een eigen laadvoorziening te realiseren, binnen 200 meter hemelsbreed (hetgeen doorgaans gelijk staat met 300 meter feitelijke loopafstand) een openbare laadvoorziening heeft. Daarom hebben wij besloten dit verkeersbesluit te nemen dat het juridisch mogelijk maakt.
De met dit besluit gereserveerde parkeerplaatsen zijn -evenals de bijbehorende laadpalen- bedoeld voor algemeen gebruik, deze zijn dus voor iedereen te gebruiken voor het opladen van zijn/haar elektrische voertuig. (Wanneer de laadpaal wordt geplaatst op een locatie waarvoor een parkeerontheffing moet worden verleend dan kan van deze laadpaal alleen gebruik worden gemaakt door bewoners met een parkeerontheffing. En in gebieden waar parkeren voor ontheffinghouders is ingevoerd, geldt dit ook voor de bestuurders van elektrische voertuigen.)
De oplaadpaal is geschikt voor het gelijktijdig opladen van twee voertuigen. Het voorliggende verkeersbesluit maakt het mogelijk de twee bij de locatie van de oplaadpaal gelegen parkeerplaatsen aan te wijzen voor het parkeren van een elektrisch voertuig dat aan het opladen is. De tweede parkeerplaats zal pas daadwerkelijk worden gereserveerd wanneer in relatie tot de gebruikelijke oplaadtijd naar ons oordeel het aantal op te laden voertuigen in deze omgeving redelijkerwijs te groot wordt voor één parkeerplaats. Het plaatsen en het onderhoud van de oplaadpaal wordt uitgevoerd door een particulier bedrijf.
Het rijden met elektrische voertuigen draagt bij aan een schonere lucht, minder uitstoot van CO2 en minder geluidsoverlast en daarmee aan het voorkomen of beperken van hinder, overlast en schade door het verkeer, als bedoeld in artikel 2, lid 2a van de Wegenverkeerswet 1994.
Om ons doel (“binnen 200 meter hemelsbreed van vrijwel elke woning binnen de bebouwde kom een openbare laadpaal”) te realiseren, hebben wij gezocht naar locaties waar:
- met de bestaande of in procedure zijnde laadpalen niet aan dit doel wordt voldaan;
- die voldoende vindbaar en zichtbaar zijn;
- die als het enigszins kan niet voor (voor)ramen van woningen liggen;
- geparkeerde auto’s zowel aan de bestuurderskant als aan de passagierskant goed bereikbaar zijn;
- het redelijkerwijs geen misverstand kan opleveren dat het openbare parkeerplaatsen zijn, die door meerdere gebruikers gedeeld kunnen worden (dit om te voorkomen dat er “privé-parkeerplaatsen” gecreëerd worden);
- de doorgang voor ander verkeer (auto, fiets, voetganger, rolstoel etc.) gewaarborgd blijft;
- er geen belemmeringen zijn ten aanzien van ander straatmeubilair of (openbaar) groen.
Dit heeft geleid tot 17 locaties, zoals in dit besluit genoemd en op de bij dit besluit behorende tekening aangegeven. Voor 8 van deze locaties is inmiddels een aanvraag ingediend, voor de overige 9 locaties verwachten wij dat daar binnen 2 jaar behoefte aan een laadpaal ontstaat. In alle gevallen starten wij met het reserveren van 1 parkeerplaats. De tweede parkeerplaats wordt pas gereserveerd wanneer één parkeerplaats redelijkerwijs onvoldoende is gebleken voor het aantal op te laden voertuigen.
Omdat deze parkeerplaatsen/laadpalen in principe gebruikt zullen worden door buurtbewoners, blijft het aantal in de buurt beschikbare parkeerplaatsen per saldo gelijk. Alleen is één van deze parkeerplaatsen gereserveerd voor een bijzonder, maar openbaar doel.
Voor het plaatsen van een oplaadpaal is geen vergunning nodig op grond van artikel 2:10a van de APV want er is geen strijd met de publieke functie van de weg.
De genoemde wegen liggen binnen de bebouwde kom, zijn eigendom van en in beheer bij de gemeente Elburg en op grond van artikel 18, lid 1d van de Wegenverkeerswet 1994 is zij bevoegd tot het nemen van dit verkeersbesluit.
Het ontwerpbesluit is in het kader van artikel 24 van het Besluit Administratieve Bepalingen inzake het Wegverkeer voorgelegd aan de politie. De gemandateerde verkeersadviseur R. Heuvelink, van de politie Oost Nederland, Noord en Oost Gelderland heeft op 19 september 2022 positief geadviseerd.
Het ontwerpbesluit heeft van 26 augustus t/m 6 oktober 2022 voor een ieder ter inzage gelegen. In dezelfde periode zijn belanghebbenden in de gelegenheid gesteld hierover zienswijzen in te dienen. Drie belanghebbenden hebben van deze mogelijkheid gebruik gemaakt.
De indiener tegen de locatie Hellenbeekstraat 38 heeft op 21 september 2022 in de zienswijze aangegeven dat de parkeerdruk op deze parkeerstrook hoog is en zou graag zien dat de laadpaal verplaatst wordt naar een parkeervak in de directe omgeving.
Wij kunnen ons hierin vinden en omdat dit geen problemen geeft voor de 100m-dekking in dit gebied wanneer wij de laadpaal gaan verplaatsen naar de parkeerstrook voor Hellenbeekstraat 129/139
De indiener tegen de locatie Roosje Vechtstraat 9 heeft op 4 oktober 2022 in de zienswijze aangegeven dat de aangewezen locatie bij de speeltuin zorgt voor een onveilige situatie. Zij vinden dat hier kinderen veilig moeten kunnen spelen en door te hard rijdende mensen/pakketdiensten zorgt dit nu al voor gevaarlijke situaties. Wanneer hier ook nog een laadpaal komt dan wordt het zicht nog meer ontnomen. Het voorstel zou zijn om de laadplek te verplaatsen naar een van parkeervakken aan de Burgemeester Folkertslaan omdat dit buiten het speelgebied is van de kinderen en daardoor een veiligere locatie.
Onze reactie hierop is dat veiligheid natuurlijk bovenaan staat. Wij hebben dan ook gekeken naar een alternatieve locatie die past binnen de 100m-dekking in dit gebied. Wij willen dan ook de laadpaal gaan verplaatsen naar de parkeervakken ter hoogte van Burgemeester Folkertslaan 49.
De indienen tegen de locatie Bovendwarsweg 2c heeft op 23 september 2022 aangegeven dat de parkeerdruk hier hoog is vooral op zondagen en feestdagen door bezoekers aan de nabij gelegen kerk en dat door de laadpaal het trottoir (te) smal gaat worden.
Onze reactie hierop is als volgt:
*De parkeerdruk op deze parkeerplaats kan inderdaad tijdens zon- en feestdagen hoog zijn maar dit is maar op een bepaald aantal momenten. Hier willen wij aan tegemoet komen door een onderbord te plaatsen uitgezonderd zon-/feestdagen tussen 09.00/11.30 uur.
*De breedte van het trottoir is 2,00 meter wanneer hier een laadpaal wordt geplaatst blijft er nog voldoende ruimte over voor mensen die slecht ter been zijn of iemand met een wandelwagen. Dit is voor ons dan ook geen reden om deze laadpaal te verplaatsen naar een andere locatie.
Op bovengenoemde manieren komen wij enigszins tegemoet aan de ingediende zienswijzen en wij zullen conceptbesluit dan ook op een aantal punten aanpassen.
Op grond van het voorgaande besluit het college van burgemeester en wethouders van de gemeente Elburg:
1a. de onderstaande locaties aan te wijzen voor het plaatsen van een oplaadpaal en daarbij twee parkeerplaatsen met een daarbij behorende oplaadpaal aan te wijzen voor het opladen van elektrische voertuigen. De tweede parkeerplaats wordt pas daadwerkelijk gereserveerd wanneer één parkeerplaats redelijkerwijs onvoldoende is gebleken voor het aantal op te laden voertuigen;
1b. dit kenbaar te maken door het plaatsen van bord E4 (parkeergelegenheid) uit bijlage I van het Reglement Verkeersregels en Verkeerstekens 1990 (RVV), met een onderbord met daarop de tekst “alleen voor opladen elektrische voertuigen”, alsmede op termijn een onderbord met schuin naar links en naar rechts wijzende pijl (ook wel bekend als OB501) en daarbij aan de Bovendwarsweg 2c een extra onderbord met de tekst uitgezonderd zon-/feestdagen tussen 09.00/11.30 uur.
2a. Hoeckelsweg ter hoogte van huisnummer 44;
2b. Oude Kerkweg ter hoogte van huisnummer 50;
2c. Buitenkruier ter hoogte van huisnummer 2
2d. Buitenkruier* ter hoogte van huisnummer 20
2e. Burgemeester Folkertslaan ter hoogte van huisnummer 49;
2f. De Wieken ter hoogte van huisnummer 52;
2g. Hellenbeekstraat ter hoogte van huisnummer 129/139;
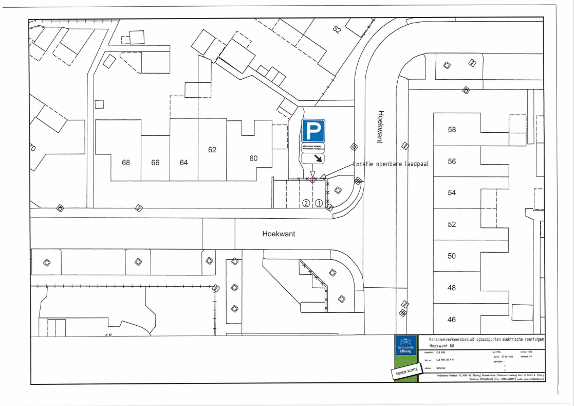
2h. Hoekwant* ter hoogte van huisnnummer 60;
2i. Kievitsbloem ter hoogte van huisnummer 11;
2j. Nunspeterweg* ter hoogte van huisnummer 9;
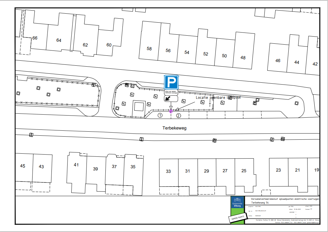
2k. Terbekeweg* ter hoogte van huisnummer 54;
2l. Vrijheidsstraat ter hoogte van huisnummer 17a;
2m. Westerwalstraat* ter hoogte van huisnummer 29;
2n. Bovendwarsweg ter hoogte van huisnummer 2c met een onderbord uitgezonderd zon- en feestdagen tussen 09.00/11.30 uur;
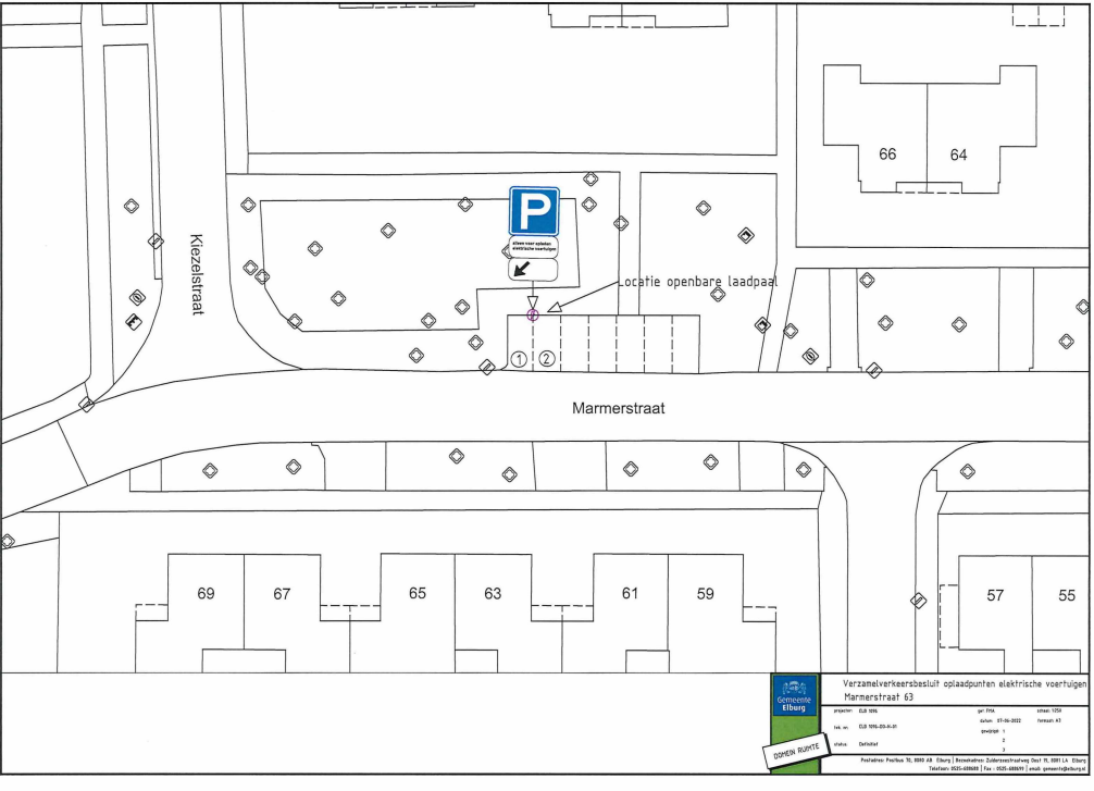
2o. Marmerstraat ter hoogte van huisnummer 63;
2p. Vale Ouwelaan* ter hoogte huisnummer 97;
2q. Gerichtenweg ter hoogte van huisnummer 39.
Dit besluit is genomen in overeenstemming met artikel 12 van het Besluit Administratieve Bepalingen inzake het Wegverkeer, met artikel 18 van de Wegenverkeerswet 1994, het besluit van het college van burgemeester en wethouders van 1 april 2008 en het Bevoegdhedenbesluit Elburg van 9 februari 2021.
Namens het college van burgemeester en wethouders,
J. J. Ruster
beleidsmedewerker verkeer en vervoer
Dit document is geautomatiseerd aangemaakt, u treft daarom geen handtekening aan.
Dit besluit treedt in werking één dag na bekendmaking in het Gemeenteblad.
Belanghebbenden kunnen binnen zes weken na publicatie van dit besluit beroep instellen bij de Rechtbank Gelderland, afdeling Bestuursrecht, postbus 9030, 6800 EM te Arnhem.
In dit beroepschrift moet vermeld staan:
uw naam en adres, de datum waarop het beroepschrift is geschreven, een omschrijving van het gemeentelijke besluit waartegen u in beroep gaat, de reden waarom u in beroep gaat en uw handtekening.
Door het indienen van het beroepschrift wordt dit besluit niet opgeschort. Bij een spoedeisend belang kan degene die een beroepschrift heeft ingediend een voorlopige voorziening vragen bij de Rechtbank Gelderland, afdeling bestuursrecht, postbus 9030, 6800 EM te Arnhem. Bij het indienen van een verzoek om voorlopige voorziening moeten griffierechten worden betaald.
Kopieer de link naar uw clipboard
https://zoek.officielebekendmakingen.nl/gmb-2022-483742.html
De hier aangeboden pdf-bestanden van het Staatsblad, Staatscourant, Tractatenblad, provinciaal blad, gemeenteblad, waterschapsblad en blad gemeenschappelijke regeling vormen de formele bekendmakingen in de zin van de Bekendmakingswet en de Rijkswet goedkeuring en bekendmaking verdragen voor zover ze na 1 juli 2009 zijn uitgegeven. Voor pdf-publicaties van vóór deze datum geldt dat alleen de in papieren vorm uitgegeven bladen formele status hebben; de hier aangeboden elektronische versies daarvan worden bij wijze van service aangeboden.