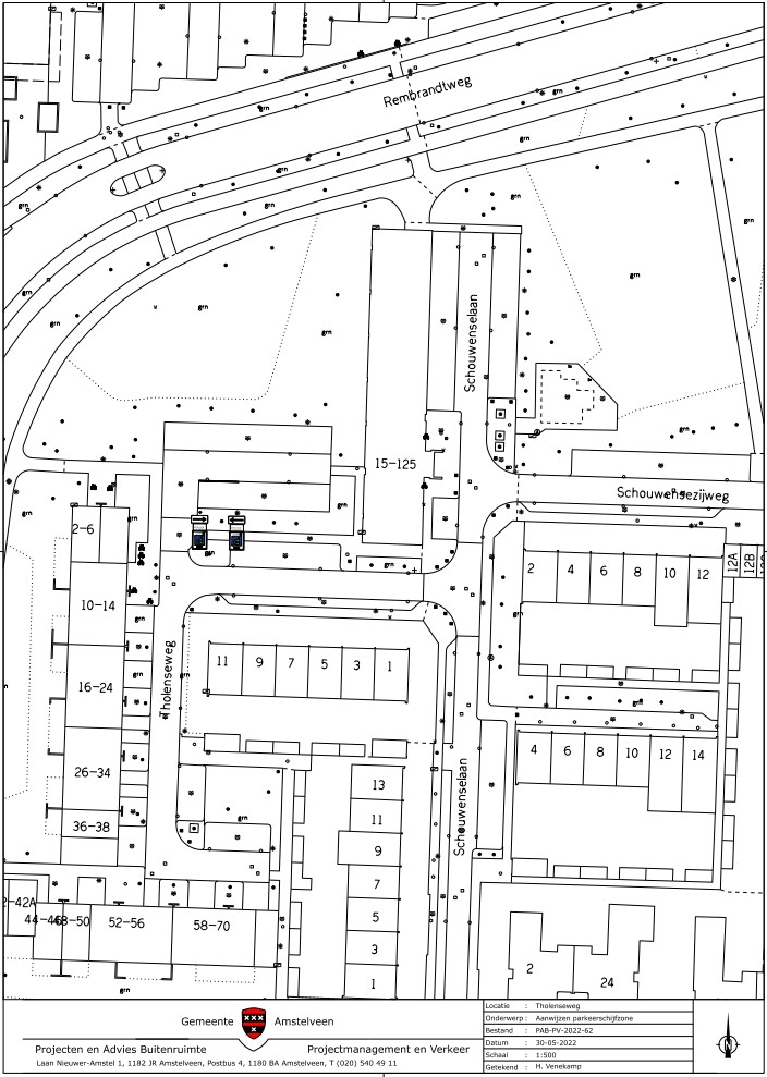
Burgemeester en wethouders van Amstelveen besluiten om drie parkeervakken op de noordelijke parkeerhaven in de Tholenseweg aan te wijzen als parkeerschijfzone, zoals aangegeven op tekening PAB-PV-2022-62.
Dit gebeurt door het plaatsen van borden E10 van bijlage 1 van het Reglement verkeersregels en verkeerstekens 1990 (RVV 1990) en door het aanbrengen van blauwe strepen als bedoeld in artikel 25, lid 1, van dit Reglement. De borden E10 hebben het opschrift “zone” en “max 2h” en worden voorzien van onderborden met een pijlaanduiding en met vermelding van de tijden waarop uitsluitend met een in het motorvoertuig duidelijk zichtbare parkeerschijf mag worden geparkeerd waarop het tijdstip staat aangegeven waarop met het parkeren is begonnen en waarbij de toegestane parkeerduur niet is verstreken. Deze tijden zijn: Maandag tot en met vrijdag van 09.00 uur tot 18.00 uur.
Wettelijke grondslag
Het besluit is gebaseerd op:
•
de Wegenverkeerswet 1994 (WVW 1994);
•
het Reglement verkeersregels en verkeerstekens 1990 (RVV 1990);
•
het Besluit administratieve bepalingen inzake het wegverkeer (BABW).
Motivering
Het besluit strekt conform artikel 2 Wegenverkeerswet 1994 tot:
•
Het verzekeren van de veiligheid op de weg (lid 1a);
•
het beschermen van weggebruikers en passagiers (lid 1b);
•
het zoveel mogelijk waarborgen van de vrijheid van het verkeer (lid 1d).
Het besluit wordt als volgt gemotiveerd:
In de wijk Elsrijk is het betaald parkeren uitgebreid. Voor dit gebied bestaat voor bewoners en ondernemers in dat gebied de mogelijkheid een parkeervergunning aan te vragen.
De parkeerplaatsen in de parkeerhaven liggen voor een kantoor van belastingadviseurs en worden voor kort parkeren gebruikt. De drie parkeerplaatsen worden buiten het betaalregime gehouden. Dit kan worden gerealiseerd door de parkeerplaatsen in de parkeerstrook voor het kantoor van belastingadviseurs aan te wijzen als parkeerschijfzone en de parkeerplaatsen te voorzien van een blauwe streep. De tijden worden afgestemd op de reguleringstijden van het betaald parkeren.
Het aanwijzen van de straten waar het betaald parkeren geldt wordt niet geregeld met een verkeersbesluit. De aanwijzing vindt plaats in een apart Aanwijzingsbesluit parkeerbelastingen Amstelveen 2022. Daarin is een bepaling opgenomen waarin wordt geregeld dat het betaald parkeren niet geldt voor parkeerschijfzones binnen een zone met betaald parkeren.
Om de beschikbaarheid voor kort parkeren zo veel mogelijk te waarborgen worden er voor de parkeerplaatsen in de parkeerschijfzone geen ontheffingen verleend. De maatregelen bevorderen een doelmatig gebruik van de beschikbare parkeergelegenheid.
Met de uitbreiding van het betaald parkeren in het genoemde gebied zijn er voor de bewoners en bedrijven in dat gebied voldoende parkeermogelijkheden om met een parkeervergunning op parkeerplaatsen met betaald parkeren te parkeren.
Bevoegd gezag
Verkeersbesluiten worden genomen door burgemeester en wethouders voor zover zij betreffen het verkeer op de wegen, welke niet in beheer zijn bij het Rijk, de provincie of een waterschap (artikel 18, lid 1, onder d, WVW 1994). Het mandaatbesluit van burgemeester en wethouders is van toepassing. Er is ondermandaat verleend aan de medewerker ontwerp en voorbereiding van de gemeente.
Het besluit is overeenkomstig artikel 24 van het Besluit administratieve bepalingen inzake het wegverkeer om advies voorgelegd aan de gemandateerde specialist van het team verkeersadvisering namens de korpschef van de regiopolitie Amsterdam-Amstelland.
De genoemde parkeerplaatsen liggen binnen de bebouwde kom en zijn in beheer bij de gemeente Amstelveen.
Tekening
Amstelveen, 14 juli 2022
Burgemeester en wethouders van de gemeente Amstelveen,
namens dezen,
R.A.C.M. Lommerse
de medewerker ontwerp en voorbereiding
Mogelijkheid tot het indienen van een bezwaarschrift
Tegen dit besluit kunnen belanghebbenden binnen zes weken na bekendmaking een bezwaarschrift indienen. Het bezwaarschrift moet worden ondertekend. Het bevat ten minste de naam en het adres van de indiener, de dagtekening, een omschrijving van het besluit waartegen het bezwaar is gericht en de gronden van het bezwaar. Zo mogelijk meldt u uw e-mailadres en het telefoonnummer waarop u overdag te bereiken bent.
Het bezwaarschrift richt u aan het College van burgemeester en wethouders van Amstelveen, t.a.v. Juridische zaken, Postbus 4, 1180 BA Amstelveen.
Digitaal bezwaar maken is ook mogelijk. Dit kan via www.amstelveen.nl/bezwaarschrift. Hiervoor moet u wel over een elektronische handtekening (DigiD) beschikken.
Mogelijkheid tot het aanvragen van een voorlopige voorziening
Als u bezwaar maakt, geldt de beslissing nog wel. Wilt u dat het gemeentelijke besluit tijdens uw bezwaarprocedure tijdelijk wordt opgeschort? Dien dan een verzoek om voorlopige voorziening in bij de voorzieningenrechter van de rechtbank. Als de voorzieningenrechter uw verzoek toekent, is het besluit opgeschort.
Een verzoek dient u in bij de Voorzieningenrechter van de Rechtbank Amsterdam, Postbus 75850, 1070 AW Amsterdam. Aan het verzoek zijn kosten verbonden.
De hier aangeboden pdf-bestanden van het Staatsblad, Staatscourant, Tractatenblad, provinciaal blad, gemeenteblad, waterschapsblad en blad gemeenschappelijke regeling vormen de formele bekendmakingen in de zin van de Bekendmakingswet en de Rijkswet goedkeuring en bekendmaking verdragen voor zover ze na 1 juli 2009 zijn uitgegeven. Voor pdf-publicaties van vóór deze datum geldt dat alleen de in papieren vorm uitgegeven bladen formele status hebben; de hier aangeboden elektronische versies daarvan worden bij wijze van service aangeboden.