Kennisgeving besluit o.g.v. Wet bodembescherming inzake melding voor een bodemsanering aan de Westerkade 11 te Groningen

Kennisgeving Besluit

Burgemeester en wethouders van Groningen (hierna: B en W) hebben van Interbuild Ontwerp en Management (hierna: saneerder) het evaluatieverslag ontvangen van een uitgevoerde bodemsanering op de locatie Westerkade 11 te Groningen. De saneringslocatie heeft als kadastrale aanduiding: Gemeente Groningen, secties K nummer 2415 en 3081. De sanering is uitgevoerd in het kader van de voorgenomen bebouwing. Hieraan voorafgaand wil de saneerder de locatie geschikt maken voor het beoogde gebruik. B en W hebben besloten in te stemmen in met het ingediende verslag.

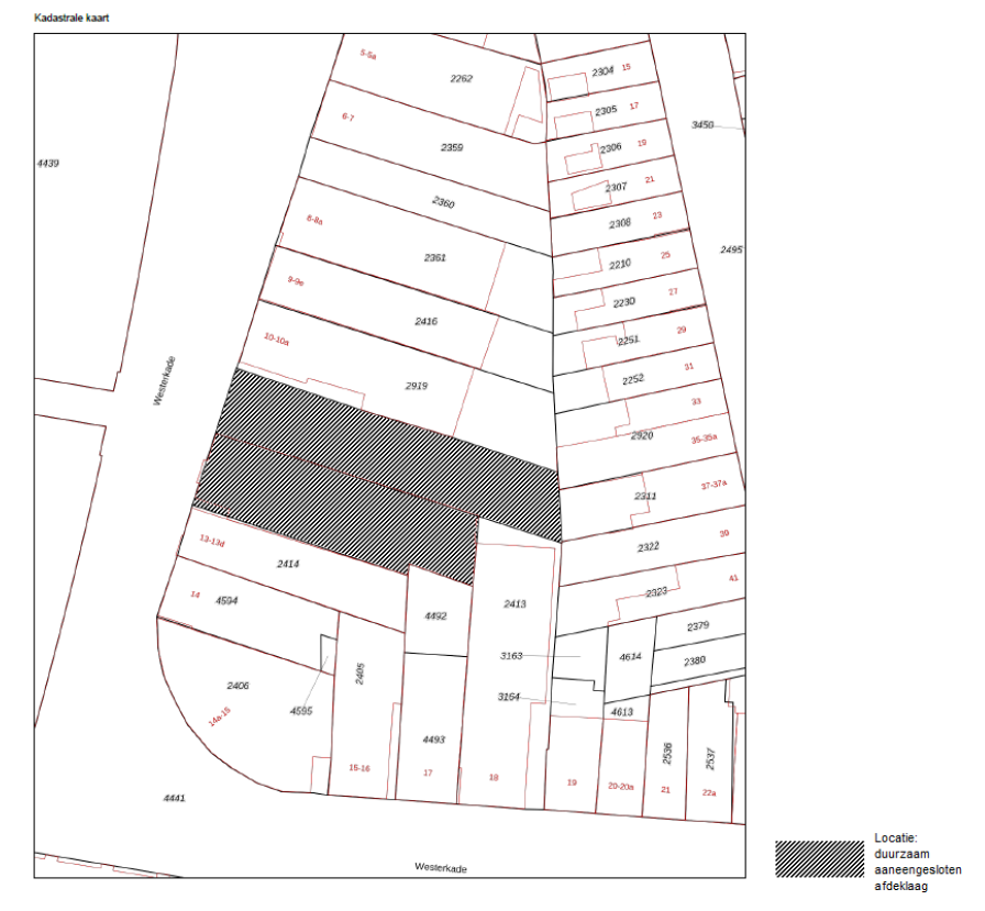
Als bijlage is een overzicht van de saneringslocatie aan deze kennisgeving toegevoegd.

Procedure

Het besluit en de bijbehorende stukken liggen ter inzage van 10 november tot en met 22 december 2021 bij het gemeentelijk Loket Bouwen en Wonen aan het Harm Buiterplein 1, open op werkdagen van 9:00 tot 13:00 (zonder afspraak) en van 13:00 tot 17:00 (alleen op afspraak), telefoon 14 050.

Bezwaren kunnen tot 22 december 2021 door belanghebbenden mondeling of schriftelijk worden ingebracht bij burgemeester en wethouders van Groningen, postbus 30026, 9700 RM Groningen.

Bijlage bij besluit: locatie van sanering, Westerkade 11 te Groningen

Groningen, 10 november 2021

Burgemeester en wethouders

Naar boven