Besluit naamgeving openbare ruimte Almere

Burgemeester en wethouders van Almere;

 

Gelet op:

- artikel 108 van de Gemeentewet en artikel 2 van de Verordening naamgeving en nummering (adressen) Almere 2019;

- artikel 6 van de Wet basisregistratie adressen en gebouwen, die op 1 juli 2018 in werking is getreden, waarin gemeenten wordt opgedragen openbare ruimten vast te stellen;

- Algemeen Mandaatbesluit Almere 2020, die op 1 januari 2020 in werking is getreden;

- het advies van de Naamgevingscommissie openbare ruimte Almere,

 

  • besluiten (op 28 januari 2021 met besluit N21-004)

 

  • het tracé van de openbare ruimte met de volgende namen te wijzigen:

 

  • Hildegard van Bingenweg (BAG-type weg)

  • Pompoenweg (BAG-type weg)

 

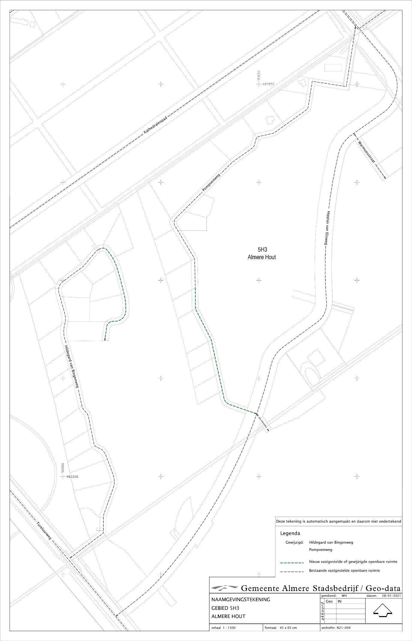
Dit besluit treedt in werking op de dag na die van bekendmaking in het Gemeenteblad. De locatie is weergegeven op de bijbehorende situatietekening met het nummer N21-004, Almere Hout, gebied 5H3.

 

Toelichting op wijziging Hildegard van Bingenweg en Pompoenweg in Almere Hout:

Project Oosterwold vormt een bijzonder gebied en wordt verder ontwikkeld. Anders dan in andere gebieden in de gemeente Almere is er geen vastomlijnd beeld hoe het gebied zich gaat ontwikkelen. Hier mogen de initiatiefnemers het gebied zelf inrichten met gebouwen, wegen en bovenal veel groen, in verschillende hoedanigheden. Door de dynamische ontwikkeling van het gebied wordt het bestaande tracé van Hildegard van Bingenweg en Pompoenweg uitgebreid.

 

 

Burgemeester en wethouders voornoemd,

Namens hen,

W. Verduyn

Medewerker Geo

Bijlage: situatietekening

 

Bent u het niet eens met het besluit?

Tegen dit besluit kan een belanghebbende binnen zes weken na de dag van publicatie een bezwaarschrift indienen. Het bezwaarschrift dient te zijn gericht aan burgemeester en wethouders van Almere, t.a.v. de bezwarencommissie, postbus 200, 1300 AE Almere. Indien er sprake is van onverwijlde spoed kan daarnaast aan de voorzieningenrechter van de Rechtbank Midden-Nederland (afdeling Bestuursrecht, onder vermelding van “voorlopige voorzieningen”, Postbus 16005, 35000 DS Utrecht) worden verzocht een voorlopige voorziening te treffen. Een bezwaarschrift en een verzoek om voorlopige voorziening dienen te voldoen aan de daaraan in de Algemene wet bestuursrecht gestelde eisen.

 

Let op: Heeft u een geactiveerd account op de Berichtenbox van MijnOverheid? De correspondentie over bezwaarschriften gaat dit jaar via de Berichtenbox verlopen. In de loop van het jaar ontvangt u dus steeds meer correspondentie over bezwaarschriften via de Berichtenbox. Houd deze daarom goed in de gaten. Meer informatie over het aansluiten op de Berichtenbox van MijnOverheid vindt u op https://mijn.overheid.nl

 

Situatietekening wijzigen Hildegard van Bingenweg en Pompoenweg in Almere Hout

Naar boven