Besluit van het college van burgemeester en wethouders van de gemeente Maassluis houdende regels omtrent ligplaatsen voor vaartuigen (Reglement ligplaatsen vaartuigen Maassluis 2021)

Het college van burgemeester en wethouders van Maassluis;

 

overwegende dat:

 

het wenselijk is nadere regels te stellen als bedoeld in artikel 5:25, lid 2, van de Algemene Plaatselijke Verordening voor het innemen, hebben of beschikbaar stellen van een ligplaats voor vaartuigen in openbaar water;

 

het nodig is het Reglement Ligplaatsen Pleziervaartuigen Maassluis 2019 te wijzigen om de realisatie van een vaste ligplaats voor de trekschuit mogelijk te maken;

 

omdat niet alleen pleziervaartuigen maar ook de trekschuit en rondvaartboten onder het reglement vallen, de tenaamstelling te wijzigen in ‘Reglement ligplaatsen vaartuigen Maassluis 2021’

 

met inachtneming van de Nota Vergunningen- en Handhavingsbeleid ligplaatsen pleziervaartuigen Maassluis,

 

besluit:

 

  • I.

    In te trekken het “Reglement Ligplaatsen Pleziervaartuigen Maassluis 2019”

  • II.

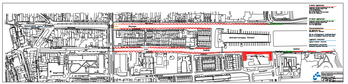
    Vast te stellen het hierna volgende “Reglement ligplaatsen vaartuigen Maassluis 2021”, incl. Ligplaatsentekening.

     

Algemene bepalingen

Artikel 1. Definities

Gehanteerde definities

College

het college van burgemeester en wethouders van de gemeente Maassluis

Havenmeester

de ambtenaar van de gemeente Maassluis aan wie door het college het toezicht en de organisatie op het openbaar water en de kaden zijn opgedragen, of zijn plaatsvervanger.

Ligplaats voor vaartuigen

een aangewezen plaats waar vaartuigen met vergunning een gedeelte van het jaar of het gehele jaar mogen afmeren.

Ligplaats voor trekschuit

een aangewezen plaats waar uitsluitend een trekschuit met vergunning een gedeelte of het gehele jaar mag afmeren.

Op- en afstapplaats voor rondvaartboten

een aangewezen plaats die bestemd is voor het tijdelijk op- en afstappen in/ uit een rondvaartboot

Passantenplaats

een aangewezen plaats waar vaartuigen tijdelijk vrij ligplaats mogen innemen. Deze zijn niet bedoeld voor rondvaartboten.

Wachtplaats passanten

een aangewezen plaats waar pleziervaartuigen en rondvaartboten vrij ligplaats mogen innemen in afwachting van het gebruik van de sluis.

Ligplaatsentekening

de bij dit reglement behorende tekening waarop de ligplaatsen, ligplaats trekschuit, aanlegplaatsen, passantenplaatsen en op- en afstapplaatsen in de Noord- & Zuidvliet zijn aangegeven.

Openbaar water

alle wateren die - al dan niet met enige beperking - voor het publiek bevaarbaar of anderszins toegankelijk zijn.

Pleziervaartuig

een vaartuig dat is bestemd voor de pleziervaart met een bootlengte van minimaal 2,5 meter en maximaal 11 meter, al dan niet uitsluitend of mede door mechanische kracht voort te bewegen met uitsluiting van:

kano’s, kajaks, vlotten, zeil- en surfplanken en soortgelijke drijvende voorwerpen;

een pleziervaartuig dat tijdelijk of blijvend de mogelijkheid en/of de geschiktheid heeft verloren om te varen of te drijven en;

een pleziervaartuig dat in aanbouw is en casco’s.

Rondvaartboot

een vaartuig bestemd, of gebruikt, voor korte rondvaarten met passagiers in een beperkte omgeving

Trekschuit

een historisch vaartuig voor het binnenwater dat bestemd is om met belangstellenden tegen betaling te varen langs een zekere toeristische route en dat met een touw kan worden voortgetrokken door paarden of mensen

Schipper

degene die een vaartuig voert dan wel degene die daarover de leiding heeft

Vaartuig

alle vaartuigen, daaronder mede verstaan de trekschuit, rondvaartboot, drijvende werktuigen, alsmede woonschepen, glijboten en ponten.

Artikel 2. Werkingsgebied

Dit reglement is van toepassing:

  • 1.

    Op het openbaar water van de Noordvliet en Zuidvliet ten noorden van de P.C. Hooftlaan tot aan de grens met de gemeente Midden-Delfland;

  • 2.

    Op het openbaar water van de Noordvliet ten zuiden van de P.C. Hooftlaan tot aan de Monstersche Sluis.

Artikel 3. Wijze van meten

De in het reglement genoemde maten worden uitwendig gemeten, daar waar zij het grootst zijn; ondergeschikte bouwdelen zoals vlaggenmasten en antennes niet meegerekend.

VERGUNNINGEN

Artikel 4. Aanvragen voor een vergunning

Op grond van art. 5:25 lid 1 APV is een vergunning nodig om met een vaartuig een ligplaats in te nemen. In aanvulling op artikel 4:2 van de Algemene wet bestuursrecht moet een aanvraag om vergunning tevens zijn voorzien van de navolgende gegevens/stukken:

  • 1.

    verklaring dat de aanvrager daadwerkelijk beschikt over een vaartuig en dat de aanvraag voor de ligplaats van dat vaartuig dient;

  • 2.

    een recente foto van het vaartuig;

  • 3.

    lengte, breedte, hoogte en diepgang van het vaartuig en zo mogelijk naam, merk en typenummer van het vaartuig.

Artikel 5. Looptijd van de vergunning

De vergunning geldt voor een periode van vijf jaren. De houders van een ligplaatsvergunning ontvangen jaarlijks een schriftelijke bevestiging van hun vergunning en een genummerde sticker die zichtbaar (vanaf de walkant) op het vaartuig moet worden aangebracht.

Artikel 6. Verleende vergunning

  • 1.

    De vergunning is strikt persoonlijk, niet overdraagbaar en alleen geldig voor het vaartuig in ongewijzigde vorm;

  • 2.

    Aan de vergunning kunnen voorschriften worden verbonden die verband houden met de volgende belangen:

    • a.

      de (verkeers)veiligheid op het water en zijn oevers;

    • b.

      de reinheid van het water en zijn oevers;

    • c.

      het gebruik van het water;

    • d.

      de handhaving van de openbare orde op het water;

    • e.

      de bewaking van rechten en vrijheden van anderen;

    • f.

      het uiterlijk aanzien van de vaartuigen in verband met de bescherming van het beschermd stadsgezicht van de gemeente;

    • g.

      gezondheids- en milieuaspecten.

  • 3.

    De houder van een vergunning die handelt in strijd met de daaraan verbonden voorschriften, wordt geacht zonder vereiste vergunning te hebben gehandeld. Onder handelen wordt mede verstaan nalaten;

  • 4.

    De vergunninghouder is verplicht deze vergunning op verzoek van de havenmeester binnen 48 uur te tonen.

Artikel 7. Weigeren van de vergunning

Een vergunning kan worden geweigerd indien:

  • 1.

    tegen de verlening daarvan in belangrijke mate bezwaar bestaat uit oogpunt van de in artikel 6, lid 2 van dit reglement genoemde belangen;

  • 2.

    het een aanvraag betreft welke niet past op de ligplaatsentekening aangegeven maatvoeringen c.q. categorieën;

  • 3.

    er ter plaatse van de op de ligplaatsentekening aangegeven afmeerplaatsen, voor het vaartuig dat de aanvraag betreft geen plaats is.

Artikel 8. Intrekken of wijzigen van de vergunning

De vergunning kan door het college worden ingetrokken of gewijzigd indien:

  • 1.

    ter verkrijging daarvan onjuiste gegevens zijn verstrekt;

  • 2.

    de gegevens op de vergunning – door actie van de vergunninghouder – niet meer overeenstemmen met de werkelijke situatie;

  • 3.

    in strijd wordt gehandeld met de in artikel 6, lid 2 van dit reglement genoemde belangen;

  • 4.

    de aan de vergunning verbonden voorschriften niet zijn of worden nagekomen;

  • 5.

    van de vergunning geen gebruik wordt gemaakt;

  • 6.

    de houder dit verzoekt.

HET AFMEREN VAN DE VAARTUIGEN

Artikel 9. Passanten

  • 1.

    Een passantenplaats is openbaar en bestemd voor het tijdelijk afmeren van pleziervaartuigen.

  • 2.

    Een passantenplaats is niet bestemd voor rondvaartboten en de trekschuit.

  • 3.

    Het tijdelijk aanmeren van pleziervaartuigen is toegestaan tussen 08.00 uur ‘s ochtends en 20.00 uur ’s avonds.

  • 4.

    Het tijdelijk aanmeren van pleziervaartuigen en rondvaartboten op de wachtplaats passanten is toegestaan voor maximaal 2 uur.

  • 5.

    Het overnachten op vaartuigen is zonder ontheffing niet toegestaan. De ontheffing moet worden aangevraagd bij de havenmeester.

De voorschriften voor een ligplaatsvergunning zijn van toepassing m.u.v. de eis van sticker en registratienummer.

Artikel 9a. Rondvaartboten

  • 1.

    Een rondvaartboot mag maximaal 20 minuten zijn afgemeerd voor het tijdelijk op- en afstappen van haar passagiers op de daarvoor aangegeven op- en afstapplaats voor rondvaartboten, zoals aangegeven op de bij het reglement behorende ligplaatsentekening.

  • 2.

    Rondvaartboten mogen alleen afmeren op de op- en afstapplaats en op de wachtplaats passanten van 11.00 uur ’s ochtends tot 20.00 uur ’s avonds. Het is niet toegestaan om rondvaartboten na 20.00 uur af te meren op de Noordvliet, Zuidvliet of Veerstraat.

  • 3.

    Rondvaartboten mogen niet afmeren op een passantenplaats met uitzondering van de wachtplaats passanten. Ze mogen ook niet afmeren op een ligplaats waar vaartuigen met vergunning mogen afmeren.

  • 4.

    De regels uit dit reglement, die gelden voor een pleziervaartuig, zijn onverminderd van toepassing op een rondvaartboot, met uitzondering van de artikel 4 t/m 8 m.b.t. de vergunningplicht.

Artikel 9b. Trekschuit

Voor de ligplaats en het af- en aanmeren van de trekschuit kunnen, vanwege de bijzondere status van de trekschuit, in de vergunning aanvullende voorwaarden worden gesteld.

Artikel 10. Afmeerregels

  • 1.

    De rechthebbende van een vaartuig is verplicht ervoor te zorgen dat zijn vaartuig, zo lang het een afmeerplaats inneemt, deugdelijk en behoorlijk is afgemeerd;

  • 2.

    De afstand tussen afgemeerde vaartuigen dient minimaal 1 meter te bedragen;

  • 3.

    In het belang van het aanzien van de gemeente is het verboden een vaartuig af te meren of afgemeerd te hebben dat in kennelijk verwaarloosde toestand verkeert.

  • 4.

    Het is verboden twee of meer vaartuigen naast elkaar af te meren;

  • 5.

    Aanwijzingen van medewerkers van de gemeente, de politie, het Hoogheemraadschap van Delfland, gegeven in het belang van de openbare orde en veiligheid dienen onmiddellijk en onvoorwaardelijk te worden opgevolgd;

  • 6.

    Indien ter plaatse in het water of aan de kademuren van gemeentewege werkzaamheden moeten worden verricht, moet het vaartuig op de eerste aanzegging door of namens burgemeester en wethouders worden verwijderd. De vergunninghouder wordt hiervan tenminste een week van tevoren schriftelijk op de hoogte gesteld, behoudens in bijzondere gevallen;

  • 7.

    De ligplaats dient te worden ingenomen in overeenstemming met de bij de vergunning behorende tekening. Het is de vergunninghouder niet toegestaan elders in de Noordvliet of Zuidvliet een andere ligplaats in te nemen dan die hem is toegewezen, anders dan in nauw overleg met de havenmeester;

  • 8.

    Indien de aangewezen ligplaats door een andere boot is ingenomen is de vergunninghouder verplicht hiervan onmiddellijk melding te maken aan de havendienst, telefoon 010-5912852;

  • 9.

    Het vaartuig moet stevig worden afgemeerd. Ten aanzien van het afmeren geldt dat het verboden is af te meren aan voorwerpen die daar niet toe bestemd zijn, dit zijn bijv. verkeersborden, banken, fietsenrekken, bomen, straatverlichting, e.d. Het is niet toegestaan om een vaartuig met behulp van ankers af te meren;

  • 10.

    Bij het afmeren van het vaartuig moet schade aan de kademuren of walkanten worden voorkomen, door gebruik te maken van voldoende beveiliging door middel van vaartuig geëigende fenders, stootwillen, e.d.. Vaartuigen mogen slechts worden afgemeerd aan voorzieningen die door de gemeente beschikbaar zijn gesteld;

  • 11.

    Er mag door het gebruik van het vaartuig geen overlast voor derden ontstaan;

  • 12.

    Het pleziervaartuig moet in het midden van de ligplaats (nummermarkering) worden afgemeerd; het afmeren van meerdere boten op de ligplaats dan wel naast het vaartuig waarvoor deze vergunning geldt, is niet toegestaan. Voor het afgemeerd houden van het vaartuig op of tegen de kade mogen geen bootvreemde materialen worden gebruikt, een en ander ter beoordeling van de havenmeester;

  • 13.

    De houder van de vergunning dient zodanige maatregelen te nemen dat schade aan eigendommen van derden wordt voorkomen.

OVERIGE VERBODEN EN GEBODEN HANDELINGEN OP OF BIJ HET WATER

Artikel 11. Niet toegestane/verplichte handelingen

  • 1.

    Gebruik van de ligplaats voor andere doeleinden dan het afgemeerd hebben van en het aan- en afvaren met een vaartuig is niet toegestaan;

  • 2.

    Naast of in de buurt van het vaartuig mogen geen andere objecten zoals bij- of volgbootjes, kano’s en vlotten en andere spullen worden afgemeerd of opgeslagen;

  • 3.

    Het vaartuig dient aan de buitenzijde in een goede staat van onderhoud en verzorgd te zijn, zonder vaartuigvreemd afdekzeil. Afwijkingen hiervan zijn slechts geoorloofd na verkregen toestemming van de havenmeester. Het uiterlijk aanzien dient naar maatschappelijke maatstaven aanvaardbaar te zijn. Het vaartuig dient vaartechnisch klaar te zijn;

  • 4.

    Nachtverblijf op het vaartuig is niet toegestaan. Uitsluitend voor een passantenligplaats kan ontheffing door de havenmeester worden verleend;

  • 5.

    Het is niet toegestaan om op de ligplaats geluidsapparatuur zodanig te gebruiken dat deze buiten het vaartuig hoorbaar is. Het is niet toegestaan om op de ligplaats anderszins overlast te veroorzaken of zich hinderlijk te gedragen;

  • 6.

    Op het vaartuig mogen geen vaartuigvreemde voorwerpen worden opgeslagen of vastgemaakt;

  • 7.

    Het is niet toegestaan op de kade dan wel zichtbaar op of aan het afgemeerde vaartuig, al of niet in het ongerede geraakte voorwerpen, of materialen of huisraad te deponeren of achter te laten. Afvalstoffen in welke vorm dan ook worden op behoorlijke wijze verwijderd uit het water van de ligplaats en van de walkant nabij de ligplaats;

  • 8.

    Het is niet toegestaan afvalstoffen (zoals olie- en verfresten) te laten weglekken of door onderwaterlozingen het openbaar water te verontreinigen;

  • 9.

    Het is niet toegestaan om buitenboords tegen of aan het afgemeerde vaartuig, gas- en/of vloeistofhouders aan te brengen of te hebben;

  • 10.

    Het is verboden op de ligplaats een vaartuig geheel of gedeeltelijk te bouwen, te verbouwen, te slopen of meer dan routinematig onderhoud te verrichten (geen werfactiviteiten). Het verrichten van het toegestane routinematig onderhoud moet rechtstreeks verband houden met het geschikt houden of afmeren van het vaartuig en is niet toegestaan tussen 20.00 en 08.00 uur.

DIVERSE

Artikel 12. Geen gebruik vergunning e.d.

  • 1.

    In het geval dat (tussentijds) van de vergunning geen gebruik meer wordt gemaakt moet hiervan onmiddellijk – uitsluitend schriftelijk – melding worden gemaakt bij de havenmeester, Postbus 55, 3140 AB Maassluis. De op die vergunning en ligplaats betrekking hebbende ligplaatssticker dient van het vaartuig te worden verwijderd en bij de opzegging te worden meegezonden. Het vaartuig zal de ligplaats moeten verlaten;

  • 2.

    Bij opzegging vóór de afloopdatum van de vergunning wordt geen restitutie van legesgeld verleend;

  • 3.

    De rechthebbende op een vaartuig is verplicht, wanneer zijn vaartuig in de aangewezen wateren van de Noord- en Zuidvliet schade heeft toegebracht aan een ander vaartuig, een werk of inrichting, dan wel gezonken is, dit zo spoedig mogelijk te melden aan de havenmeester of politie;

  • 4.

    Onder te vergoeden schade worden tevens verstaan de kosten van maatregelen die bij het nalaten ervan door de booteigenaar, moeten worden genomen ter naleving (zoals het leegpompen en/of verhalen van het vaartuig).

Artikel 13. Nadere regels

Het college is bevoegd nadere regels te stellen betreffende hetgeen in dit reglement is bepaald.

Artikel 14. Hardheidsclausule

Het college kan in bijzondere omstandigheden afwijken van het bepaalde in dit reglement.

Artikel 15. Wijziging ligplaatsentekening

Het college is bevoegd tot het wijzigen van de ligplaatsentekening.

Artikel 16. Toezicht op de naleving

Met het toezicht op de naleving van het bepaalde bij of krachtens dit reglement zijn belast de politie, de havenmeester en de daartoe door het college aangewezen ambtenaren.

Artikel 17. Opsporingsambtenaren

De opsporing van de in artikel 6:1 van de Algemene Plaatselijke Verordening strafbaar gestelde feiten is, naast de in artikel 141 van het Wetboek van Strafvordering genoemde opsporingsambtenaren, opgedragen aan daartoe door het college aangewezen ambtenaren.

Artikel 18. Betreden dan wel binnentreden van vaartuigen

Zij die belast zijn met de zorg voor de nakoming van de bij of krachtens dit reglement gegeven voorschriften, zijn bevoegd tot het betreden en binnentreden van al dan niet besloten ruimten en plaatsen zonder toestemming van de rechthebbende of gebruiker.

Artikel 19. Opvolgen van aanwijzingen

De rechthebbende op een vaartuig is verplicht alle door de politie, de havenmeester en daartoe door het college aangewezen ambtenaren gegeven mondelinge aanwijzingen met betrekking tot het innemen van een ligplaats dan wel het bevaren van het openbaar water, terstond op te volgen.

INWERKINGTREDING EN SLOTBEPALINGEN

Artikel 20. Inwerkingtreding en slotbepaling

  • I.

    Dit reglement treedt in werking op de dag na bekendmaking hiervan;

  • II.

    Op dat tijdstip komt de ‘Reglement Ligplaatsen Pleziervaartuigen Maassluis 2019’ te vervallen;

  • III.

    Dit reglement kan worden aangehaald als ‘Reglement ligplaatsen vaartuigen Maassluis 2021’.

     

Aldus vastgesteld in de vergadering van het college van burgemeester en wethouders

d.d. 6 juli 2021,

Het college van Burgemeester en Wethouders van Maassluis,

De secretaris,

drs. W.A. Atsma,

de burgemeester,

dr. T.J. Haan

Bijlage 1  

 

Naar boven