Aanwijzingsbesluit gebieden waar honden zonder aanlijning mogen lopen

 

Burgemeester en wethouders van de gemeente Roosendaal;

 

gelet op artikel 2:57, lid 2 van de Algemene plaatselijke verordening;

 

overwegende dat:

 

  • -

    het gewenst is plaatsen aan te wijzen waar het wel mogelijk is de hond los te laten lopen (dat wil zeggen: zonder aanlijning) zonder dat voor de omgeving overmatige hinder- dan wel overlast wordt veroorzaakt;

     

BESLUITEN

 

vast te stellen het Aanwijzingsbesluit gebieden waar honden zonder aanlijning mogen lopen.

 

  • 1.

    De plaatsen, zoals aangegeven op de bij dit besluit behorende en als zodanig gewaarmerkte situatietekeningen, bestaande uit:

    - hondenspeelplaats Norbartlaan, Burgerhout (bijlage 1);

    - hondenspeelplaats De Bergen, Tolberg (bijlage 2);

    - hondenspeelplaats Willem Dreesweg (bijlage 3);

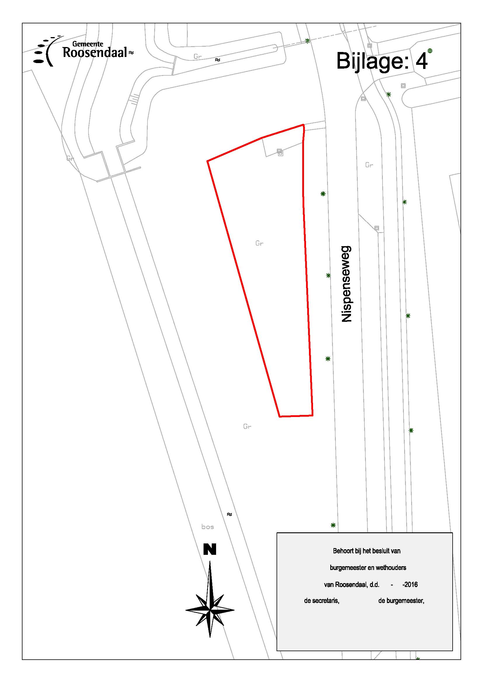
    - hondenspeelplaats Nispenseweg (bijlage 4);

    - hondenspeelplaats Heilig Hartplein (bijlage 5);

    - hondenspeelplaats Gerard ter Borschstraat (bijlage 6);

     

    aan te wijzen als plaatsen waar het toegestaan is honden los te laten lopen (hondenspeelplaatsen).

 

  • 2.

    Dat artikel 2:58 (verontreiniging) onverkort van toepassing is. Dit houdt in dat de eigenaar of houder van een hond ook in de onder lid 1 aangewezen plaatsen een deugdelijk opruimmiddel bij zich dient te hebben en uitwerpselen direct opruimt.

 

  • 3.

    Het aanwijzingsbesluit gebieden waar het aanlijngebod honden niet geldt, vastgesteld op 5 januari 2016, wordt ingetrokken.

 

  • 4.

    Dit besluit treedt in werking op de derde dag na bekendmaking in het Gemeenteblad.

 

Aldus besloten door burgemeester en wethouders van Roosendaal op 20 december 2016,

de secretaris, de burgemeester,

Bijlage 1 Hondenspeelplaats Norbartlaan, Burgerhout

Bijlage 2 Hondenspeelplaats De Bergen, Tolberg

Bijlage 3 Hondenspeelplaats Willem Dreesweg

Bijlage 4 Hondenspeelplaats Nispenseweg

Bijlage 5 Hondenspeelplaats Heilig Hartplein

Bijlage 6 Hondenspeelplaats Gerard ter Borschstraat

Naar boven