Inrichtingsplan voor de Kerstjaarmarkt op de Brink te Deventer
 
Artikel 1. Plaats en markttijden
  • 1.
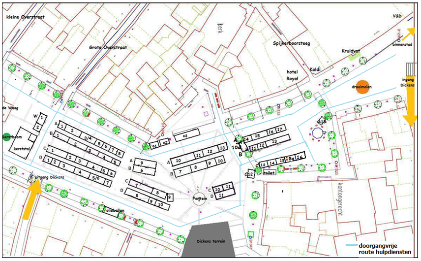
    Op de Brink te Deventer wordt op een zondag in december (samenhangend met het Dickensfestijn) een jaarmarkt gehouden van 11.00 tot 17.00 uur, zoals aangegeven op bijbehorende kaart (bijlage 1).
  • 2.
    In afwijking van het eerste lid kan het college op grond van onvoorziene en bijzondere omstandigheden bepalen dat de markt niet zal plaatsvinden dan wel tijdelijk zal plaatsvinden op een andere plaats, dag en/of tijd en indien nodig vergunninghouders een andere standplaats toewijzen dan die waarvoor zij vergunning hebben.
Artikel 2. Afgelasting markt
  • 1.
    Indien bij aanvang van de markt, of gedurende de tijdsperiode waarop de markt wordt gehouden, weersinvloeden, calamiteiten e.d. de orde op de markt kunnen verstoren, er direct gevaar dreigt voor de vergunninghouder, marktbezoekers en/of objecten in de nabijheid van het marktterrein, waardoor de openbare orde in gevaar komt of schade kan worden toegebracht aan derden, kan de marktmeester besluiten:
    • a.
      de vergunninghouder te verplichten de noodzakelijke voorzorgsmaatregelen te treffen;
    • b.
      de markt anders op te stellen c.q. in te richten;
    • c.
      de markt niet te laten aanvangen;
    • d.
      de markt onmiddellijk te beëindigen.
Artikel 3. Inrichting van de markt
  • 1.
    De afmeting van een standplaats is bepaald op minimaal 9 m2 en maximaal 72 m2.
  • 2.
    Het college kan bij de toewijzing van de standplaatsen afwijken van de standaardmaten.
Artikel 4. Toewijzing van standplaatsen
  • 1.
    Op schriftelijke aanvraag kan een handelingsbekwaam natuurlijk persoon, die voldoet aan de vereisten van artikel 3, lid 7, van de Marktverordening gemeente Deventer 2014, een standplaats toegewezen krijgen.
  • 2.
    Toewijzing van een standplaats vindt plaats na aanmelding binnen de daarvoor gestelde termijn, die vermeldt wordt in een advertentie van de gemeente Deventer. Deze advertentie wordt geplaatst ten behoeve van de werving van gegadigden voor deze jaarmarkt.
  • 3.
    Aanvragers die in het voorafgaande jaar een standplaats op deze jaarmarkt hebben ingenomen krijgen bij voorrang een standplaats toegewezen.
  • 4.
    Indien in het voorafgaande jaar een aantekening is gesteld door de marktmeester dan wordt geen vergunning verstrekt voor deze jaarmarkt.
  • 5.
    Wanneer na toewijzing van standplaatsen nog plaatsen resteren wordt namens het college een keus gemaakt welke aanvragers een standplaats krijgen. Daarbij wordt rekening gehouden met de variatie en de kwaliteit van het aanbod.
Artikel 5. Vergunningen
  • 1.
    Op de Kerstjaarmarkt zijn alleen dagplaats- en standwerkvergunningen toegestaan.
Artikel 6. Gebruik standplaats
  • 1.
    De vergunninghouder maakt gebruik van de kraam die van de door het college aangewezen kramenverhuurder kan worden gehuurd.
  • 2.
    Op verzoek kan een vaste standplaatshouder ontheffing worden verleend om met eigen materiaal de standplaats in te nemen.
  • 3.
    Het in het vorige lid vermelde verzoek omvat in ieder geval de volgende gegevens:
    • a.
      een opgave van de lengte, hoogte en breedte van het eigen materiaal;
    • b.
      een gedetailleerde tekening of foto’s van het eigen materiaal;
    • c.
      indien het eigen materiaal is voorzien van installaties waarin gekookt, gebakken, gebraden en/of gefrituurd of waarmee verwarmd kan worden, moet een bewijs van veiligheid van het te gebruiken eigen materiaal, evenals de te gebruiken apparatuur, worden overlegd.
  • 4.
    Het in het derde lid, sub c genoemde bewijs wordt jaarlijks opnieuw overlegd, waarbij de laatste keuring van het materiaal niet langer dan één jaar geleden heeft plaatsgevonden.
  • 5.
    De ontheffing wordt in ieder geval geweigerd, indien het eigen materiaal de door het college vastgestelde maximumafmeting van de standplaats overschrijdt, dan wel technisch niet inpasbaar is binnen de beschikbare ruimte op de markt, zoals aangegeven op de in artikel 1 genoemde tekening. Aan de ontheffing verbindt het college nadere voorschriften ten aanzien van het te gebruiken materiaal en het aanzien.
  • 6.
    De vergunninghouder mag tijdens de markten geen andere artikelen verkopen dan waarvoor hem vergunning is verleend.
  • 7.
    De vergunninghouder mag tijdens de markten geen artikelen uitstallen, verkopen of afleveren op een andere plaats dan waarvoor hem vergunning is verleend.
  • 8.
    Het is mogelijk borden, vlaggen, kraamverlengingen e.d. aan de luifels van de kramen aan te brengen zolang de veiligheid en het functioneren van de markt hierdoor niet worden belemmerd. Dit ter beoordeling van de marktmeester.
  • 9.
    De aanrijdroutes dienen te allen tijde ten minste 3,50 meter breed te zijn en over een hoogte van 4,20 meter vrij te blijven van obstakels. De aanrijdroutes voor hulpverleningvoertuigen worden op de bij dit inrichtingsplan behorende kaart aangegeven.
  • 10.
    Tijdens de markturen mag de vergunninghouder niet de doorgang in de wandelgangen op en langs het marktterrein op enigerlei wijze hinderen of belemmeren. Dit ter beoordeling van de marktmeester.
  • 11.
    Het is de vergunninghouder verboden voor de verlichting van de standplaats gebruik te maken van andere dan elektrische verlichting.
  • 12.
    Het is de vergunninghouder verboden de standplaats als opslagruimte te gebruiken.
Artikel 7. Tijdstip van het innemen van de standplaats en aan- en afvoer van goederen
  • 1.
    Vervoermiddelen die niet noodzakelijk zijn voor directe verkoop moeten voor het aanvangstijdstip van en gedurende de markt van het marktterrein zijn verwijderd.
  • 2.
    Dagplaatshouders moeten hun vervoermiddelen die niet noodzakelijk zijn voor de directe verkoop uiterlijk een uur na het aanvangstijdstip van de markt van het marktterrein hebben verwijderd.
  • 3.
    Standwerkers dienen hun standwerkerplaats een half uur voor het sluitingstijdstip van de markt te hebben ontruimd en verlaten.
  • 4.
    De marktmeesters kunnen van het bepaalde in het eerste lid ontheffing verlenen voor zover de vervoermiddelen de verkoopactiviteiten op het marktterrein niet nadelig beïnvloeden.
Artikel 8. Gebruik van geluidsapparatuur
  • 1.
    Het gebruikmaken van geluidsapparatuur is alleen toegestaan na verleende schriftelijke toestemming.
  • 2.
    Overige standplaatshouders of bezoekers van de markt mogen van het gebruik van de geluidsapparatuur geen hinder ondervinden.
Artikel 9. Meet- en weegwerktuigen
  • 1.
    De vergunninghouder is, onverminderd het bepaalde in de IJkwet en het IJkreglement, verplicht:
    • a.
      Voor zover goederen per maat of gewicht worden verkocht, ervoor te zorgen dat de gebruikte meet- en/of weegwerktuigen in deugdelijke staat verkeren;
    • b.
      Het weegwerktuig zodanig aan de naar het publiek gekeerde zijde van de standplaats te plaatsen, dat het daarop bij weging aangegeven gewicht steeds voor het publiek duidelijk leesbaar is.
Artikel 10. Afval, Hygiëne en reiniging van de standplaats
  • 1.
    De vergunninghouder is verplicht wanneer aan hem een vergunning is verleend om op zijn standplaats eet- en drinkwaren te verkopen welke direct voor consumptie gereed zijn, aan de voorzijde van de marktkraam of eigen materiaal voldoende korven of bakken te plaatsen voor het verzamelen van afval. Dit afval dient, overeenkomstig het overige bedrijfsafval, door de vergunninghouder afgevoerd te worden.
  • 2.
    Een vergunninghouder die handel drijft in artikelen van een branche waaruit zou kunnen voortvloeien dat de ondergrond en omgeving van zijn standplaats vervuild raakt, dient maatregelen te treffen om dit te voorkomen. De te treffen maatregelen behoeven de voorafgaande goedkeuring van de marktmeester en worden kort daarna uitgevoerd.
Artikel 11. Veiligheid van toestellen en installaties
  • 1.
    Elektrische installaties, verlichtingstoestellen, verwarmingstoestellen en bak-, kook- en frituurinstallaties dienen zodanige eigenschappen te hebben dat het gebruik ervan geen brand- en/of explosiegevaar oplevert. Dit betekent dat:
    • a.
      de elektrische installatie in de verkoopinrichting voldoet aan NEN 1010 en de eisen van de energieleverancier;
    • b.
      toestellen en installaties uitgevoerd zijn conform Europese veiligheidsregels (waaronder de zogenaamde ‘machinerichtlijn’) en voorzien zijn van het CE-keurmerk;
    • c.
      gasgestookte toestellen en installaties die na oplevering door de fabrikant (conform Europese veiligheidsregels/CE) nog aan een installatieproces worden onderworpen, vóór de eerste ingebruikneming gekeurd worden door een erkende installateur; van deze keuring dient een rapport aanwezig te zijn binnen de verkoopinrichting; de keuring kan feitelijk een onderdeel zijn van het installatieproces;
    • d.
      elke verbindingsslang tussen drukhouder en verbruikstoestel e.d. moet:
      • zijn vervaardigd van synthetisch rubber met één of meer straaldraad- en/of textielinlagen;
      • GIVEG goedgekeurd zijn;
      • -
        zijn bevestigd door middel van deugdelijke slangklemmen op slangpilaren;
      • -
        vrij en ongespannen zijn aangelegd;
      • -
        zodanig zijn aangebracht dat blootstelling aan ontoelaatbare temperatuursinvloeden en/of mechanische beschadigingen wordt voorkomen;
      • -
        de gasslang mag maximaal 2 jaar oud zijn, tenzij een visuele inspectie anders aangeeft (NEN 8020-41), en moet zo kort mogelijk worden gehouden;
      • -
        de lengte van een gasslang bij een tijdelijke opstelling mag maximaal 10 meter zijn;
    • e.
      gasflessen moeten voorzien zijn van een door de Dienst voor het Stoomwezen erkend keurmerk. Gasflessen waarvan de goedkeuring, zoals blijkt uit de ingeponste datum, meer dan 10 jaar geleden heeft plaatsgevonden, zijn verboden; de gasflesseninstallatie moet voldoen aan NEN 3324;
    • f.
      een adequate rookgasafvoervoorziening gerealiseerd is bij toestellen en installaties die dat behoeven; de bij bakken, braden en frituren vrijkomende dampen dienen via een onbrandbaar, hittebestendig en gasdicht rookafvoerkanaal waarin een verwisselbaar of reinigbaar vetvangend filter is geplaatst, te worden weggeleid (tenzij het om een elektrische frituurpan van maximaal 4 liter gaat dan wel een kookketel met een inhoud van niet meer dan 25 liter);
    • g.
      afsluiters in vaste gasleidingen goed bereikbaar zijn en aangebracht aan het einde van elke aftakking van een vaste leiding naar een gebruikstoestel en in de leidingen op plaatsen waar de leiding geheel of gedeeltelijk kan worden gespoeld met een inert gas;
    • h.
      het gebruik van andere brandbare gassen dan butaan en propaan is niet toegestaan. LPG mag alleen gebruikt worden in daarvoor specifiek ontworpen installaties. De vaste LPG-installaties in bakwagens moeten voldoen aan NPR 2577. Het gebruik van LPG-tanks als brandstofreservoir voor andere stoffen dan LPG is niet toegestaan;
    • i.
      het leidingnet in bakwagens moet zijn uitgevoerd als een vaste metalen leiding. Aan het einde van elk aftakpunt van de vaste leiding naar een verbruikstoestel moet zich een vaste afsluiter bevinden. Het leidingnet en toebehoren moeten iedere 2 jaar en zo vaak de omstandigheden daartoe aanleiding geven, bijvoorbeeld bij wijzigingen of reparaties, worden gekeurd en beproefd. Van de beproeving moet een door of vanwege de installateur getekende verklaring bij de gebruikers aanwezig zijn, welke mede door de vergunninghouder is ondertekend;
    • j.
      het gebruik van een verbindingsslang in een bakwagen is alleen toegestaan voor aansluiting van een verbruikstoestel of een gasfles op het vaste leidingnet.
Artikel 12. Veilig gebruik van toestellen en installaties
  • 1.
    Elektrische installaties, verlichtingstoestellen, verwarmingstoestellen en bak-, kook- en frituurinstallaties dienen zodanig gebruikt te worden dat daardoor geen brand- en/of explosiegevaar ontstaat. Dit betekent dat:
    • a.
      elektriciteitskabels zodanig worden opgehangen dan wel onder matten worden weggeborgen dat het publiek er niet mee in aanraking kan komen;
    • b.
      toestellen en installaties zodanig geplaatst worden dat ze niet in aanraking komen met gemakkelijk brandbare stoffen en goederen;
    • c.
      gasgestookte verwarmingstoestellen met een open verbranding zodanig afgesteld zijn dat er een optimale verbranding plaatsvindt;
    • d.
      de in de bakkraam of -wagen aanwezige gastanks en/of gasflessen mogen een gezamenlijke waterinhoud hebben van ten hoogste 115 liter. Een losse gasfles mag een waterinhoud hebben van ten hoogste 40 liter;
    • e.
      gasflessen zodanig zijn opgesteld dat het publiek er niet bij kan, sprake is van goede ventilatie, zij beschermd zijn tegen omvallen (kantelen) en aanrijden;
    • f.
      toestellen voor koken, bakken, braden en frituren op een plaat van onbrandbaar materiaal dat warmte slecht geleidt (NEN 6065 klasse 2), zijn geplaatst en wanden binnen een afstand van 0,30 meter van de toestellen op dezelfde manier bekleed zijn;
    • g.
      toestellen en installaties schoon en vetvrij worden gehouden;
    • h.
      installaties voor koken, bakken, braden en frituren tenminste jaarlijks aan onderhoud worden onderworpen en tweejaarlijks gekeurd worden door een erkende installateur; van deze keuring dient een rapport aanwezig te zijn binnen de verkoopinrichting;
    • i.
      bij gebruik van een installatie voor koken, bakken, braden en frituren, voor iedere pan of frituurbak een goed passend metalen deksel aanwezig is;
    • j.
      flessen en tanks mogen tot slechts 80% worden gevuld. Een lege fles moet altijd met een gesloten afsluiter worden bewaard;
    • k.
      afsluiters moeten tegen beschadigingen zijn beschermd. Indien de bescherming bestaat uit een afneembare dop, moet deze bij niet aangesloten flessen zijn opgeschroefd;
    • l.
      het gebruik van een reduceer (drukregelaar) ouder dan 5 jaar is verboden. Alle toegepaste appendages moeten door de Dienst voor het Stoomwezen goedgekeurd zijn;
    • m.
      het verbruikstoestel mag alleen op de standplaats in werking zijn. Tijdens het transport moeten de afsluiters van de gasflessen te allen tijde gesloten zijn;
    • n.
      bij het wisselen van gasflessen mogen de branders niet in werking zijn;
    • o.
      in het geval er sprake is van personeel: dat dit voldoende is opgeleid om te kunnen werken met de installatie.
Artikel 13. Elektriciteit
  • 1.
    De vergunninghouder is verplicht voor zover hij gebruik maakt van elektrische energie deze te betrekken vanuit door het college beschikbaar gestelde middelen. De gemeente brengt de kosten van elektriciteitsgebruik in rekening op basis van jaarlijks vastgestelde privaatrechtelijke tarieven.
Artikel 14. Bakken en braden
  • 1.
    De bakinstallatie (oliebak) moet zodanig zijn geconstrueerd dat bij bijvoorbeeld overbruisen over de rand of door de kieren om de rand, olie of vet niet in de verbrandingsruimte kan komen.
  • 2.
    De toestellen moeten vast op de vloer of tafel staan opgesteld en moeten tegen omvallen of omstoten worden beschermd.
  • 3.
    Elk bak- en braadtoestel moet zijn voorzien van een goed functionerende thermostaat of thermokoppel met een maximaal ingestelde waarde van 190º C.
  • 4.
    Een eventueel opgesteld gaskomfoor moet zijn opgesteld op een plaat van onbrandbaar en slecht geleidend materiaal.
  • 5.
    Het draagvlak onder bak- en braadtoestellen moet tenminste 0,1 meter buiten de toestellen onbrandbaar zijn, dan wel zijn bekleed met een onbrandbaar en de warmte slecht geleidend materiaal. De wanden en tentdoeken, in de nabijheid waarvan toestellen zijn geplaatst, moeten tot op 1 meter van het toestel onbrandbaar zijn of op dezelfde wijze zijn bekleed.
  • 6.
    Nabij de bak- en braadapparatuur moet een draagbaar blustoestel aanwezig zijn van tenminste 6 kg poeder, 5 kg koolzuursneeuw of gelijkwaardige bluscapaciteit. Het blustoestel dient goed bereikbaar te zijn.
  • 7.
    Een draagbaar blustoestel moet zijn voorzien van een geldig rijkskeurmerk en dient 1x per twee jaar conform NEN 2559 te worden onderhouden. Het blustoestel moet zijn voorzien van een label of sticker waarop de laatste controledatum is aangegeven.
  • 8.
    Losse verwarmingstoestellen met open vuur anders dan van gas zijn verboden.
Artikel 15. Afvoer van verbrandingsgassen en dampen
  • 1.
    Binnen een afstand van 0,3 meter van de afvoerleiding van de bakdampen of de verbrandingsgassen mogen geen brandbare stoffen aanwezig zijn, tenzij deze bekleed zijn met een onbrandbaar en slecht warmtegeleidend materiaal.
  • 2.
    De verbrandingsgassen van de bak- en braadtoestellen moeten door middel van afvoerleidingen van onbrandbaar en hittebestendig materiaal worden afgevoerd. De wand- en dakdoorvoeringen moeten zijn uitgevoerd met een dubbelwandige nisbuis.
  • 3.
    Een afvoer van de bakdampen en verbrandingsgassen in één leiding is toegestaan, mits de verbrandingsgassen op de plaats van samenkomst geen hogere temperatuur hebben dan 200º C.
  • 4.
    De filters van de luchtreinigingsinstallatie dienen zo vaak gereinigd/vervangen te worden als voor de goede werking noodzakelijk is.
     
Deventer, augustus 2014
 
Burgemeester en wethouders van Deventer,

de secretaris,

drs. A.L.C.S. Lantain

de burgemeester,

ir. A.P. Heidema

Bijlage 1 Tekening
 
 
Naar boven